Está Vd. en

Documento BOE-A-2002-9472

Decreto 100/2002, de 5 de marzo, por el que se declara bien de interés cultural, con la categoría de Conjunto Histórico, el sector delimitado a tal efecto de la población de Utrera (Sevilla).

Publicado en:
«BOE» núm. 117, de 16 de mayo de 2002, páginas 17773 a 17784 (12 págs.)
Sección:
III. Otras disposiciones
Departamento:
Comunidad Autónoma de Andalucía
Referencia:
BOE-A-2002-9472

TEXTO ORIGINAL

I. El artículo 13.27 de la Ley Orgánica 6/1981, de 30 de diciembre, del Estatuto de Autonomía para Andalucía, establece la competencia exclusiva de la Comunidad Autónoma en materia de patrimonio histórico, artístico, monumental, arqueológico y científico y el artículo 6.a) de la Ley 16/1985, de 25 de junio, del Patrimonio Histórico Español, determina que se entenderán como organismos competentes para la ejecución de la Ley los que en cada Comunidad Autónoma tengan a su cargo la protección del Patrimonio Histórico.

Asimismo, el artículo 2 del Reglamento de Organización Administrativa del Patrimonio Histórico de Andalucía aprobado mediante Decreto 4/1993, de 26 de enero, atribuye a la Consejería de Cultura de la Junta de Andalucía la competencia en la formulación, seguimiento y ejecución de la política andaluza de bienes culturales referida a la tutela, enriquecimiento y difusión del Patrimonio Histórico Andaluz, siendo, de acuerdo con el artículo 3.3 del citado Reglamento, el titular de la Consejería de Cultura el órgano competente para proponer al Consejo de Gobierno de la Junta de Andalucía la declaración de bienes de interés cultural y competiendo, según el artículo 1.1 del Reglamento anterior, a este último dicha declaración.

II. Las primeras muestras de asentamientos humanos conocidas en el lugar donde se encuentra la población de Utrera, en Sevilla, son restos arqueológicos que pertenecen a las épocas calcolítica y del bronce final, destacando los dólmenes de la Cruz del Gato situados a 1.500 metros, cercanos a la carretera que comunica con Sevilla. La configuración original como núcleo urbano se asienta sobre una colina al borde del arroyo Calzas Anchas. Las primitivas construcciones componían un asentamiento ordenado que condiciona la estructura del viario actual. Presentaba dos ejes principales: El norte-sur, coincidente con la actual calle Bohórquez, y el este-oeste, correspondiente al trazado de la calle Ponce de León. La intersección de ambos viales se produce en la cota más alta del promontorio que ocupaba la población, lugar en el que se encuentran los edificios más representativos de la ciudad en la Alta Edad Media: el castillo y la primitiva Iglesia de Santiago.

Durante la época islámica la población experimentó un desarrollo urbano de escasa significación, constatándose una mayor densidad de pequeñas almunias repartidas por la vega para el aprovechamiento de la riqueza agrícola. Tras ser conquistada por Fernando III, esta ciudad experimenta un proceso de expansión urbana que ocasiona el levantamiento de la segunda cerca, convirtiéndose en un enclave geopolítico de importancia, fronteriza con los reinos musulmanes de Ronda y Granada. Tras ser nuevamente conquistada por el Rey Mohamed V en 1368, la definitiva conquista cristiana potenció una segunda repoblación de mayor entidad, experimentando un proceso de expansión urbana que consolida, en gran medida, los límites del nuevo sector amurallado, creándose asentamientos extramuros y la prolongación de las vías de época romana, en cuyos márgenes aparecen los espacios de mayor relevancia urbanística configurados en la ciudad del siglo XV.

La mayor expansión de la ciudad tiene lugar entre los siglos XVII y XVIII, producida al norte como un proceso de colmatación del sector delimitado por el camino que conduce al Santuario de Nuestra Señora de Consolación, el arroyo de las Monjas y el camino de Sevilla. Este desarrollo urbanístico propició el levantamiento de numerosos monumentos y diversas tipologías de inmuebles de suma significación histórica, arquitectónica y artística, como el castillo, las iglesias de Santiago, Santa María de Mesa, San Francisco el Real, Nuestra Señora del Carmen, Nuestro Padre Jesús Nazareno, etc., palacios como los de los Marqueses de Tous, la Casa Surga, etc., hospitales como los de la Caridad o San Juan de Dios, etc.

Atendiendo a los valores históricos, monumentales y paisajísticos que conserva el centro histórico de la población de Utrera, en Sevilla, se considera procedente la declaración de bien de interés cultural, con la categoría de conjunto histórico, del sector que se delimita a tal efecto literal y gráficamente en el Plano de «Delimitación» adjunto.

III. La Dirección General de Bellas Artes, Archivos y Bibliotecas del Ministerio de Cultura, por Resolución de 9 de julio de 1982 (publicada en «Boletín Oficial del Estado» número 274, de 15 de noviembre), acuerda tener por incoado el expediente de declaración de conjunto histórico-Artístico a favor de la villa de Utrera, de Sevilla, según la Ley de 13 de mayo de 1933, sobre Defensa, Conservación y Acrecentamiento del Patrimonio Histórico-Artístico Nacional, siguiendo su tramitación según lo previsto en dicha Ley, el Decreto de 16 de abril de 1936 y el Decreto de 22 de julio de 1958, de acuerdo con lo preceptuado en la disposición transitoria sexta primera de la Ley 16/1985, de 25 de junio, de Patrimonio Histórico Español.

En la tramitación del expediente y de conformidad con lo establecido en el artículo 14 de la Ley de 13 de mayo de 1933, sobre Defensa, Conservación y Acrecentamiento del Patrimonio Histórico-Artístico Nacional así como en el artículo 84 de la Ley de Procedimiento Administrativo de 17 de julio de 1958, han emitido informe favorable a la declaración la Real Academia de Bellas Artes de San Fernando y la Comisión Provincial de Patrimonio Histórico de Sevilla.

De acuerdo con la legislación vigente, se cumplieron los trámites preceptivos abriéndose un período de información pública y trámite de audiencia a los interesados en el expediente («Boletín Oficial de la Junta de Andalucía», número 31, de 15 de marzo de 2001) y concediéndose trámite de vista y audiencia al Ayuntamiento y a los propietarios y titulares de derechos afectados por la declaración y cuyos datos se desconocen mediante anuncio en el tablón de edictos del Ayuntamiento de Utrera.

Terminada la instrucción del expediente, y no habiéndose presentado ninguna alegación, según lo previsto en el artículo 14.2 de la Ley 16/1985, de 25 de junio, del Patrimonio Histórico Español, procede la declaración de bien de interés cultural del referido sector de la población de Utrera, en Sevilla, con la categoría de conjunto histórico, así como y de conformidad con lo prevenido en la disposición adicional primera del citado texto legal en relación con el artículo 8 del Reglamento de Protección y Fomento del Patrimonio Histórico de Andalucía, aprobado mediante Decreto 19/1995, de 7 de febrero, la inclusión del mismo en el Catálogo General del Patrimonio Histórico Andaluz.

En virtud de lo expuesto y de acuerdo con lo establecido en los artículos 6 y 9.1 y 2 de la Ley 16 /1985, de 25 de junio, del Patrimonio Histórico Español, en relación con el artículo 1.1 del Reglamento de Organización Administrativa del Patrimonio Histórico de Andalucía aprobado mediante Decreto 4/1993, de 26 de enero, a propuesta de la Consejera de Cultura y previa deliberación, el Consejo de Gobierno en su reunión del día 5 de marzo de 2002,

ACUERDA

Primero.

Declarar bien de interés cultural, con la categoría de conjunto histórico, el sector delimitado a tal efecto de la población de Utrera, en Sevilla, cuya descripción figura en el anexo al presente decreto.

Segundo.

Delimitar el espacio afectado por la declaración de bien de interés cultural, que abarcaría los espacios públicos y privados, las parcelas, inmuebles y elementos comprendidos dentro de la delimitación que figura en el anexo y, gráficamente, en el plano de «Delimitación».

Tercero.

Inscribir este bien declarado de interés cultural en el Catálogo General del Patrimonio Histórico Andaluz.

Contra el presente acto, que pone fin a la vía administrativa, se podrá interponer, desde el día siguiente al de su notificación o publicación para aquellos interesados distintos de los notificados, potestativamente recurso de reposición ante el mismo órgano que lo dicta en el plazo de un mes, conforme al artículo 116 de la Ley 30/1992, de 26 de noviembre, de Régimen Jurídico de las Administraciones Públicas y del Procedimiento Administrativo Común (modificada por la Ley 4/1999, de 13 de enero), o directamente recurso contencioso-administrativo, en el plazo de dos meses, ante la Sala de lo Contencioso-Administrativo del Tribunal Superior de Justicia de Andalucía, con sede en Sevilla, de acuerdo con lo previsto en los artículos 10 y 46 de la Ley 29/1998 de 13 de julio, reguladora de la Jurisdicción Contencioso-Administrativa.

Sevilla, 5 de marzo de 2002.—El Presidente, Manuel Chaves González.—La Consejera de Cultura, Carmen Calvo Poyato.

(Publicado en el «Boletín Oficial de la Junta de Andalucía» número 49, de 27 de abril de 2002)

ANEXO

Descripción: El conjunto de inmuebles conservados en la población de Utrera (Sevilla), de gran interés por sus valores arquitectónicos y artísticos, queda actualmente contextualizado en un plano parcelario que conserva un marcado carácter histórico y que presenta una notable cohesión física como núcleo de viviendas, de homogénea tipología, conservadas dentro de los límites establecidos a efectos de la declaración de bien de interés cultural, categoría conjunto histórico.

En la trama urbana de esta población puede distinguirse una red viaria, conservada en su totalidad según refleja la cartografía histórica, en la que se delimitan las diferentes etapas de expansión. La más remota, situada en el centro de la población donde se encuentra el castillo, experimenta un proceso de configuración que se desarrolla hasta finales del siglo XIV. Está ocupada por un tipo de inmueble dedicado a vivienda unifamiliar, entre las que abundan las de carácter señorial, con plantas muy irregulares, generalmente de doble altura y ordenadas por el cruce de las calles Bohórquez y Ruiz Gijón con la calle Ponce de León, encrucijada en la que se encuentran la Iglesia de Santiago y el Convento de la Purísima Concepción.

Al suroeste de este núcleo se ubica la expansión urbana de los siglos XV y XVI, un sector densamente ocupado por manzanas y parcelas irregulares en las que existe una tipología de vivienda que corresponde a la casa unifamiliar de una planta y sobrado, o dos plantas, principalmente localizadas en el centro de este sector en torno a la Iglesia de Santa María de Mesa y a las plazas de Enrique de la Cuadra y Utrera Molina, de carácter palaciego o señorial que responden a un esquema más desarrollado en planta, con patio central y espacios traseros para diversos usos. En su conjunto, cuentan con fachadas de destacados rasgos estilísticos que conceden al espacio público importantes visuales y una notoria presencia de sus valores históricos y artísticos.

Mediante el eje formado, de este a oeste, por la Plaza de Santa Ana, la calle La Fuente Vieja, las plazas del Altozano y de la Constitución y la calle Las Mujeres, se establece el límite con el gran sector de desarrollo urbano de los siglos XVII y XVIII, configurado por una trama urbana más regular que la de los anteriores sectores, con manzanas cuadrangulares en las que la tipología de inmueble responde básicamente a la vivienda popular de carácter tradicional. El conjunto histórico de Utrera conserva una gran densidad de ocupación, sin excesiva presencia de espacios libres, y experimenta dos prolongaciones desarrolladas, una hacia el noreste y otra al noroeste, alineadas en los márgenes de los caminos de Sevilla y del Santuario de Nuestra Señora de la Consolación respectivamente. El sector más moderno contemplado dentro de los límites de este bien de interés cultural, categoría conjunto histórico, pertenece a la expansión del siglo XIX y está localizado al oeste de lo descrito, entre las calles Eduardo Dato, Vía Marciala y Calle Nueva. En este área, el trazado de las vías se conserva intacto como se contemplan en el plano de la Villa de 1870, exceptuando la ampliación de la Vía Marciala. Pueden observarse, en algunas de ellas, importantes valores paisajísticos que relacionan visualmente la zona con el núcleo más arcaico del proceso de morfogénesis de la población, centrado en torno al castillo.

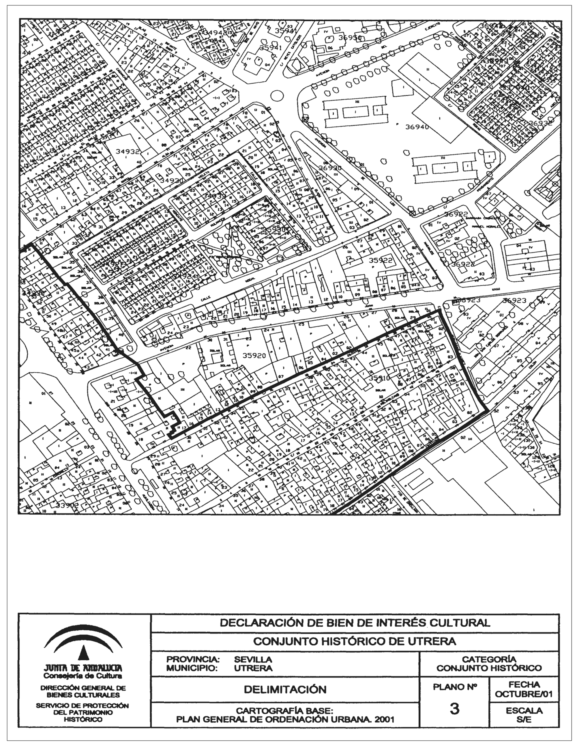
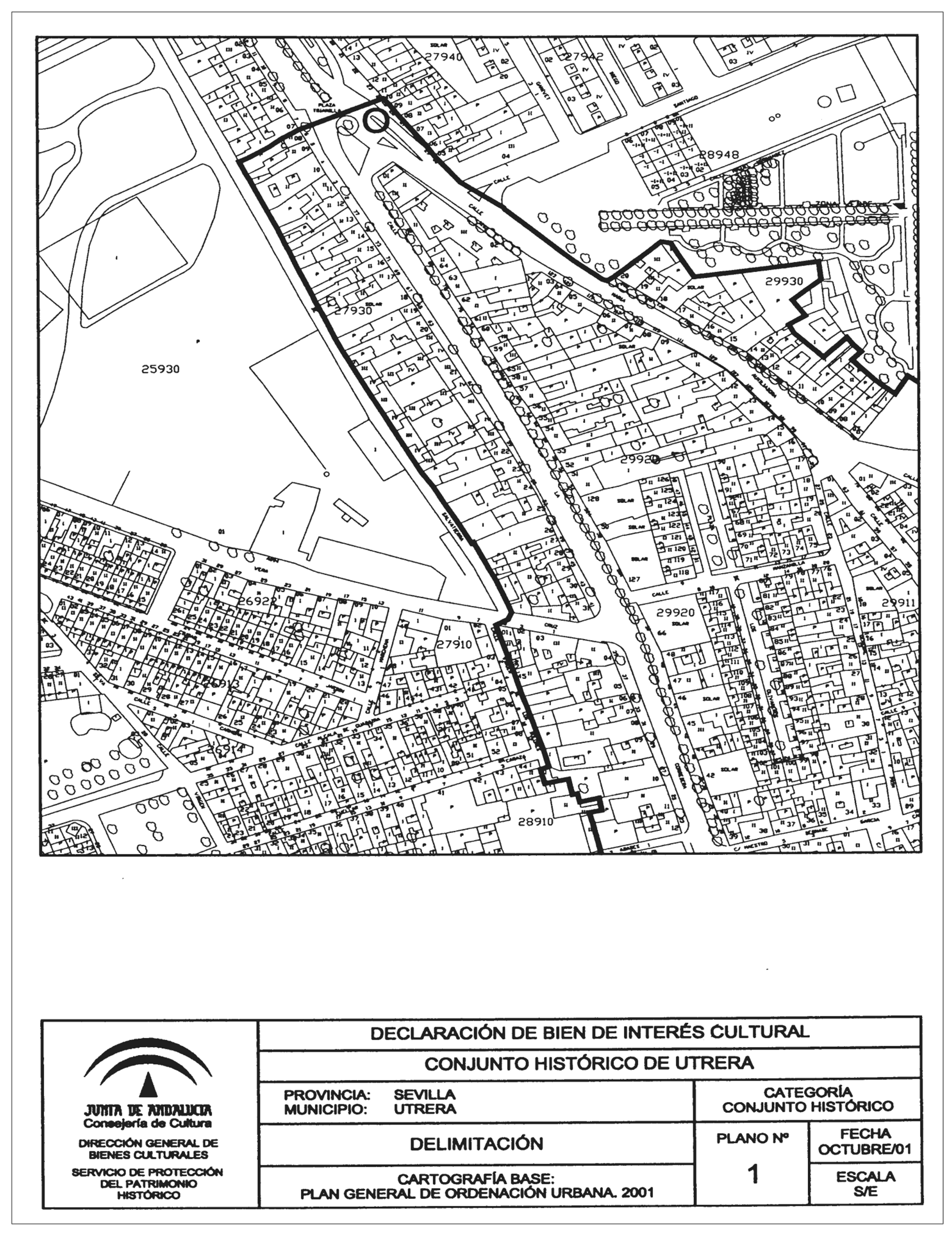
Delimitación literal: La delimitación de la zona declarada bien de interés cultural se basa en el estudio de los límites que se han propiciado como consecuencia de las diferentes expansiones consideradas históricas de la población, ya reflejadas en este texto. La morfología de este conjunto histórico ha sido el resultado de una particular secuencia de ampliaciones que en la actualidad es fácilmente distinguible, sobre el parcelario de la población, de otras áreas de reciente configuración. Del análisis histórico y urbanístico resulta la delimitación de un sector de la población, claramente definido y constatado por la planimetría histórica, en el que se conservan los valores medioambientales, espaciales, arquitectónicos, artísticos y etnológicos que conceden a Utrera su singularidad como núcleo destacado por el interés patrimonial.

En razón a las características del ámbito del bien no se considera necesaria la delimitación de un entorno al mismo, por incluirse dentro de éste todos aquellos espacios, inmuebles y elementos definidores del conjunto.

La zona afectada por la declaración de bien de interés cultural, con la categoría de conjunto histórico de la población de Utrera, en Sevilla, comprende las parcelas inmuebles, elementos y espacios públicos y privados incluidos dentro de la línea de delimitación trazada sobre el plano catastral vigente. El límite está marcado por una línea virtual que se apoya sobre referencias físicas permanentes y visibles.

Este área queda delimitada literalmente por una línea envolvente definida por las siguientes calles y parcelas: iniciando el recorrido en el extremo noroeste del conjunto histórico, en el punto O, situado en la fachada entre la medianera de las parcelas números 10 y 11, de la manzana número 27940, recorriendo, a línea de fachada, las parcelas números 10, 09, 08, 07, 06, 05 y 04 hasta el vértice sur de la parcela número 04, desde donde cruza la calle Santiago para continuar por el borde del espacio público en contacto con la calle María Auxiliadora, hasta conectar con el ángulo oeste de la parcela número 20 de la manzana número 29930, continuar por las traseras de las parcelas de números postales pares (parcelas números de la 20 a la 02) de la citada manzana incluyendo el espacio público que ocupaban las parcelas números 06 y 05. Desde la trasera de la parcela 02 cruza la calle San Vicente para continuar por las traseras de las parcelas de números postales pares de la calle María Auxiliadora de la manzana 30940 (parcelas 38 a la 33) para quebrar en el ángulo norte de ésta última y continuar por la medianera entre las parcelas números 33 y 32, y a línea de fachada, por las parcelas 32, 31 y 30 de la mencionada manzana número 30940. Desde este punto, cruza la calle Madrid, para continuar por la línea de fachada de la parcela 01 de la manzana 31930, cruza la avenida de Andalucía y continúa, a línea de fachada, por la parcela número 05 de la manzana 31933. Cruza la calle Abedul y conecta con el ángulo suroeste de la parcela número 27 y sigue por la fachada oeste a la calle Abedul de la mencionada parcela y quiebra en dirección este, para continuar por su trasera y las traseras de las parcelas de números postales pares de la calle María Auxiliadora (parcelas números de la 27 a la 11 y 65, la cual recorre por su medianera norte), cruza la calle Curro de Utrera y continúa por la medianera de las parcelas 59 y 58 de la manzana 33930 y quebrar en dirección sureste por las traseras de las parcelas de números postales pares de la calle Curro de Utrera (Parcelas números 59, 60, 61 y 10) para cruzar la calle María Alba y continuar por la fachada de la parcela número 58 de la manzana número 34930 en dirección noreste, quebrando en su vértice norte para continuar por las traseras de las parcelas de números postales pares de la calle María Auxiliadora (parcelas números 58 a la 45), y continuar por la medianera noreste de la parcela número 41, cruza la avenida Juan XXIII hasta el vértice noreste de la parcela número 21 de la manzana número 35920 y continúa por las traseras de la parcelas de números postales pares de la calle María Auxiliadora (parcelas números 21 a la 18) y prosigue, a línea de fachada, por las parcelas de números postales impares de la calle Lozas, quebrando en dirección sureste, a eje de calle, por la calle Bernardino Álvarez y desviándose en dirección suroeste, a eje de calle, por la calle Cristóbal Colón, hasta llegar al punto coincidente entre las parcelas números 12 y 13 de la mencionada calle en la manzana número 36880. Desde este punto, prosigue por las traseras de las parcelas números 12, 07, 06, 05, 04 y 03, quebrando hacia el oeste por la medianera de la parcela 03 y continúa penetrando por esta parcela en el límite de las construcciones que dan fachada a la calle San Juan Bosco y quiebra, a línea de fachada, por el muro de cerramiento de esta parcela en la calle Callejón de la Fruta, cruza la mencionada calle y continúa por las traseras de la parcelas de números postales impares de la calle San Juan Bosco de la manzana número 36870 (parcelas números de la 31 a la 26), para proseguir por la medianera de las parcelas 26 y 25 y continuar, a línea de fachada, por la parcela 25, desde donde cruza la calle Los Molares para continuar por las traseras de las parcelas de números postales impares de la calle San Juan Bosco de la manzana 35850 (parcelas 01, 32, 31), rodear completamente la parcela número 12 (incluyendo su fachada a la calle la Palma), trasera de la número 29, rodear las parcelas números 14 y 15 (incluyendo hasta la línea de fachada a la calle la Palma), trasera de la parcelas 28, rodear la parcela número 26, hasta enlazar con la parcela número 24, a la que rodea hasta su fachada a la calle Juan Domínguez, y rodearla hasta su vértice suroeste. A continuación cruza la calle San Juan Bosco y continúa por las traseras de las parcelas 02 y 01 de la manzana número 34842, cruza la calle Arenal y prosigue, a línea de fachada, por las parcelas de números postales pares de la manzana número 34850 (parcelas números 08, 07, 06, 09, 10, 11 y 12), quiebra en el vértice sur de la parcela 12 y continúa por su línea de fachada a la calle Menéndez Pelayo hasta conectar con la parcela número 13, desde donde cruza la calle Menéndez Pelayo y continúa, a línea de fachada, por las parcelas números 09, 10 y 11 de la manzana 33850. Cruza la calle hasta tocar con el vértice norte de la parcela 01 de la manzana 33844 y continúa, a línea de fachada, por el resto de las parcelas de números postales pares de la calle Roncesvalles de la citada manzana (parcelas 01, 20, 19 y 18, salta en línea recta para continuar por las fachadas de las parcelas números de la 17 a la 13, salta a la trasera de la parcela número 12, salta a la trasera de la parcela número 11 y avanza por la fachada lateral hasta situarse frente a la medianera de las parcelas números 07 y 08 de la manzana 32840). Desde este punto, cruza la calle Tetuán y continúa por la citada medianera recorriendo las traseras de las parcelas de números postales pares de la calle Roncesvalles (parcelas números de la 07 a la 03) y continúa sobre la línea de la medianera de la parcela número 22 incluyéndola. Cruza la calle Plaza de la Resolana para continuar por la medianera entre las parcelas números 02 y 03 de la manzana número 31832 y cruzar el espacio público existente entre la manzana 01 y la margen este de la calle avenida de la Resolana que continúa hasta conectar con el vértice noroeste de la manzana número 31833, que es seguida, a línea de fachada, por las parcelas números 01, 08, 07 y 06. Desde el vértice sur de esta manzana número 31833, cruza la calle Bergantín para recorrer la línea de la margen sur de la calle Bergantín y cruzar hasta coincidir con el eje de la calle Cristo de los Afligidos que sigue en toda su trayectoria hasta conectar con la trasera sur de la parcela número 01 de la manzana número 28870, quiebra para continuar por la trasera oeste de la misma parcela y cruza la avenida de los Palacios hasta encontrar la manzana número 26870 en el vértice de unión de las parcelas 32 y 31. Prosigue por la línea de fachada de las parcelas de números postales pares de la mencionada manzana (parcelas números de la 31 a la 25) quiebra en la esquina sureste de esta parcela número 25 para continuar por la línea de fachada de la número 24, torciendo por su medianera norte para recorrer las traseras de las parcelas de números postales impares de la calle Buenos Aires (parcelas números de la 21 a la 02). Quiebra con dirección norte para proseguir por la medianera y parte de la fachada de la citada parcela número 02 y conectar con el eje de la calle López Díaz que recorre en toda su trayectoria, cruzando la vía Marciala y la calle Eduardo Dato, hasta encontrar el eje de la calle Abades que recorre en toda su trayectoria hasta quebrar a la altura de la trasera de la parcela número 12 de la manzana número 28910. Continúa, en el interior de esta manzana, por la trasera de las parcelas de números postales impares de la calle Corredera (parcelas números de la 12 a la 10) continuando por la línea de fachada trasera de las parcelas números de la 09 a la 05 y, en línea de fachada, las parcelas números 45 y 01. Desde el vértice noroeste de esta última cruza la calle Vera Cruz hasta el vértice suroeste de la manzana número 27930, para proseguir por las traseras de las parcelas de números postales impares de la calle Corredera (parcelas de la 31 a la 08 de la manzana número 27930), quiebra en la medianera de la mencionada parcela número 08 que recorre en dirección este y cruza la Plaza de Trianilla hasta conectar con el punto «O» de inicio de esta descripción literal del conjunto histórico de Utrera, según queda delimitado gráficamente en el plano de «Delimitación» adjunto.

Delimitación

Imagen: /datos/imagenes/disp/2002/117/09472_14158594_image1.png

Imagen: /datos/imagenes/disp/2002/117/09472_14158594_image2.png

Imagen: /datos/imagenes/disp/2002/117/09472_14158594_image3.png

Imagen: /datos/imagenes/disp/2002/117/09472_14158594_image4.png

Imagen: /datos/imagenes/disp/2002/117/09472_14158594_image5.png

Imagen: /datos/imagenes/disp/2002/117/09472_14158594_image6.png

Imagen: /datos/imagenes/disp/2002/117/09472_14158594_image7.png

Imagen: /datos/imagenes/disp/2002/117/09472_14158594_image8.png

Imagen: /datos/imagenes/disp/2002/117/09472_14158594_image9.png

subir

Agencia Estatal Boletín Oficial del Estado

Avda. de Manoteras, 54 - 28050 Madrid