Está Vd. en

Documento BOE-A-2003-22055

Decreto 295/2003, de 14 de octubre, por el que se declara bien de interés cultural, con la categoría de conjunto histórico, el sector delimitado de la población de Bornos (Cádiz).

Publicado en:
«BOE» núm. 288, de 2 de diciembre de 2003, páginas 43153 a 43159 (7 págs.)
Sección:
III. Otras disposiciones
Departamento:
Comunidad Autónoma de Andalucía
Referencia:
BOE-A-2003-22055

TEXTO ORIGINAL

I. El artículo 13.27 de la Ley Orgánica 6/1981, de 30 de diciembre, del Estatuto de Autonomía para Andalucía, establece la competencia exclusiva de la Comunidad Autónoma en materia de patrimonio histórico, artístico, monumental, arqueológico y científico y el artículo 6.a) de la Ley 16/1985, de 25 de junio, del Patrimonio Histórico Español, determina que se entenderán como organismos competentes para la ejecución de la Ley los que en cada Comunidad Autónoma tengan a su cargo la protección del patrimonio histórico.

Asimismo, el artículo 2 del Reglamento de Organización Administrativa del Patrimonio Histórico de Andalucía aprobado mediante Decreto 4/1993, de 26 de enero, atribuye a la Consejería de Cultura de la Junta de Andalucía la competencia en la formulación, seguimiento y ejecución de la política andaluza de Bienes Culturales referida a la tutela, enriquecimiento y difusión del Patrimonio Histórico Andaluz, siendo de acuerdo con el artículo 3.3 del citado Reglamento, el titular de la Consejería de Cultura el órgano competente para proponer al Consejo de Gobierno de la Junta de Andalucía la declaración de Bienes de Interés Cultural y competiendo, según el artículo 1.1 del Reglamento anterior, a este último dicha declaración.

II. El Conjunto Histórico de Bornos tiene ampliamente justificada su declaración como Bien de Interés Cultural por las características de las estructuras arquitectónicas y la morfología urbana que caracteriza su núcleo más antiguo. En él destacan la confluencia de culturas que han marcado su desarrollo histórico, el conjunto de fundaciones de carácter religioso y una muestra de arte renacentista de las más importantes de la Baja Andalucía, sintetizado todo ello en una estructura arquitectónica y urbana desarrollada a lo largo del tiempo, que pervive aún tanto dentro del perímetro de la antigua villa como en su ampliación.

III. Por Resolución de 25 de febrero de 1983, de la Dirección General de Bellas Artes y Archivos del Ministerio de Cultura (publicada en el BOE de 21 de abril de 1983), se acuerda tener por incoado expediente de declaración de conjunto histórico-artístico a favor de Bornos (Cádiz).

En la tramitación del expediente y de conformidad con lo establecido en el artículo 14 de la Ley de 13 de mayo de 1933, sobre defensa, conservación y acrecentamiento del patrimonio histórico-artístico nacional así como del artículo 84 de la Ley de Procedimiento Administrativo, de 17 de julio de 1958, han emitido informe favorable a la declaración, la Real Academia de Bellas Artes de San Fernando, reunida en sesión de 30 de abril de 1984 y la Comisión Provincial de Patrimonio Histórico de Cádiz, reunida en sesión de 14 de mayo de 2002.

De acuerdo con la legislación vigente, se cumplimentaron los trámites preceptivos, abriéndose un periodo de información pública por plazo de veinte días hábiles (BOJA número 45, de 18 de abril de 2002), concediéndose trámite de audiencia al Ayuntamiento por plazo de diez días hábiles, mediante escrito dirigido al Sr. Alcalde-Presidente del Ayuntamiento de Bornos, con fecha de recepción de 29 de abril de 2002.

Terminada la instrucción del expediente, según lo previsto en el artículo 14.2 de la Ley 16/1985, de 25 de junio, del Patrimonio Histórico Español, en relación a su disposición transitoria sexta, apartado uno, procede la declaración de Bien de Interés Cultural, con la categoría de Conjunto Histórico, el sector delimitado de la población de Bornos (Cádiz), así como y de conformidad con lo previsto en el artículo 8 del Reglamento de Protección y Fomento del Patrimonio Histórico de Andalucía, aprobado mediante Decreto 19/1995, de 7 de febrero, la inclusión del mismo en el Catálogo General del Patrimonio Histórico Andaluz.

En virtud de lo expuesto y de acuerdo con lo establecido en los artículos 6.a), 9.1 y 9.2 de la Ley 16/1985, de 25 de junio, del Patrimonio Histórico Español, en relación con el artículo 1.1 del Reglamento de Organización Administrativa del Patrimonio Histórico de Andalucía, a propuesta del titular de la Consejería de Cultura y previa deliberación, el Consejo de Gobierno en su reunión del día 14 de octubre de 2003, acuerda:

Primero.

Declarar Bien de Interés Cultural, con la categoría de Conjunto Histórico, el sector delimitado de la población de Bornos, en Cádiz, cuya descripción figura en el Anexo al presente Decreto.

Segundo.

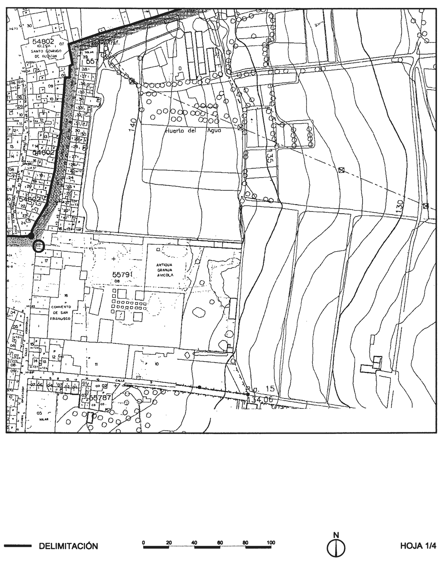
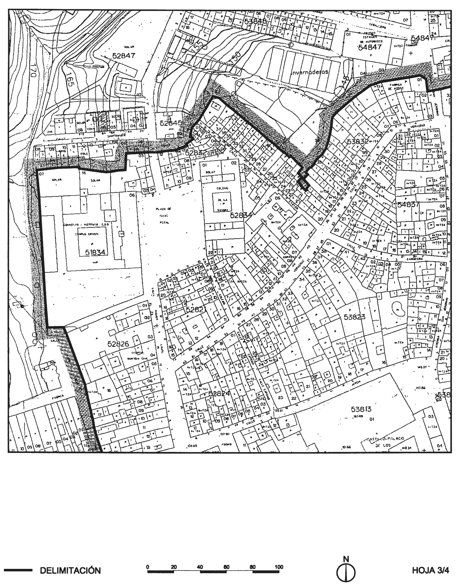
Delimitar el espacio afectado, que abarca los espacios públicos y privados, las parcelas, inmuebles y elementos comprendidos dentro de la delimitación que figura en el Anexo y, gráficamente, en el plano de Delimitación del Conjunto Histórico.

Tercero.

Inscribir este Bien de Interés Cultural en el Catálogo General del Patrimonio Histórico Andaluz.

Contra el presente acto, que pone fin a la vía administrativa, se podrá interponer, desde el día siguiente al de su notificación, potestativamente, recurso de reposición ante el mismo órgano que lo dicta en el plazo de un mes, conforme a los artículos 116 y 117 de la Ley 30/1992, de 26 de noviembre, de Régimen Jurídico de las Administraciones Públicas y Procedimiento Administrativo Común (modificada por la Ley 4/1999, de 13 de enero), o directamente recurso contencioso-administrativo en el plazo de dos meses, ante la Sala de lo Contencioso-Administrativo del Tribunal Superior de Justicia de Andalucía con sede en Sevilla, de acuerdo con lo previsto en los artículos 10 y 46 de la Ley 29/1998, de 13 de julio, reguladora de la Jurisdicción Contencioso-Administrativa.

Sevilla, 14 de octubre de 2003.—El Presidente, Manuel Chaves González.—La Consejera de Cultura, Carmen Calvo Poyato.

ANEXO

I. Justificación de la delimitación

Los elementos que contribuyen a valorar el núcleo urbano de Bornos y en especial su casco histórico están sustentados principalmente en la valoración histórica del proceso de formación de la ciudad, que permite identificar suficientemente las estructuras arquitectónicas y la morfología urbana que caracteriza el núcleo más antiguo de Bornos.

El modo de ocupación territorial, en el límite entre la sierra y la campiña gaditana, en la falda de la Sierra del Calvario y su relación con el agua, hacen de Bornos un lugar de intercambio de culturas que ha marcado su desarrollo posterior. La proximidad de Carissa Aurelia permite identificar restos cerámicos y utensilios de los primeros pobladores. No obstante el desarrollo de la estructura actual, gira en torno a una torre fortificada que tomó especial protagonismo en época árabe. De carácter eminentemente militar este Castillo de Bornos, toma pronto un marcado protagonismo urbanístico, pasando a ser el núcleo organizador.

Fundaciones de carácter religioso tales como el Monasterio de los Jerónimos al norte, el Monasterio de los Franciscanos al sur y fundaciones asistenciales como la Ermita del Calvario y la de la Resurrección, así como el Colegio de la Sangre y el Convento de Corpus Christi, crean nuevos focos de atracción alejados del centro amurallado, que apoyados en las vías de comunicación influyen directamente en el urbanismo interior. Las clases más pudientes se sitúan en torno a los centros cívicos y religiosos de más categoría social y artística, hecho que ocurrió en sentido contrario con las ermitas más humildes, que originaron en su entorno una tipología edificatoria más precaria. Por ello, para el trazado de la delimitación se ha identificado cada uno de los elementos históricos destacados dentro de la imagen urbana y analizado su influencia en el proceso de organización de la trama parcelaria, comprobando su capacidad vertebradora y estructurante de la morfología urbana.

Bornos constituye uno de los focos de importancia en el Renacimiento de la Baja Andalucía, ya que la familia de los Ribera, duques de Alcalá de los Gazules, reforman profundamente el Castillo de Fontanar, dotándolo de un carácter más residencial y encargando al arquitecto napolitano Benvenuto Tortelo el diseño del jardín a la italiana.

A nivel doméstico son muchas las familias con cierto prestigio que se sienten atraídas por este refinamiento y se sitúan en torno a estos centros cívicos y religiosos dando lugar a importantes casas señoriales, como la de los Ordónez o del Pintado, con marcado simbolismo de distinción social.

La estructura arquitectónica y urbana desarrollada a lo largo del tiempo aún pervive, tanto dentro del perímetro de la antigua villa como en su ampliación, siguiendo las trazas primitivas y permitiendo una armonía de conjunto. El crecimiento urbano presenta una coherencia en su desarrollo, supeditado a las distintas épocas históricas, creando etapas bien diferenciadas e identificadas en su estructura urbana.

El criterio seguido para la delimitación ha sido el de considerar las zonas con características cronológicas y constructivas comunes, incluyendo el parcelario de borde, por su incidencia en la percepción global del conjunto, quedando claramente excluidas las barriadas construidas a partir de los años cincuenta del pasado siglo. El anterior trazado incluía de modo muy amplio la calle Fernán Caballero, con viviendas unifamiliares de reciente creación, que actualmente no reúne las características necesarias para ser incluido en el Conjunto Histórico.

En razón a las características del ámbito del Bien no se considera necesaria la delimitación de un entorno al mismo, por incluirse dentro de éste todos aquellos espacios, inmuebles y elementos definidores del Conjunto.

II. Delimitación literal del bien

La zona afectada por la ampliación de la delimitación del Conjunto Histórico de Bornos (Cádiz), comprende las parcelas, inmuebles, elementos y espacios públicos y privados, situados dentro de la línea de delimitación trazada sobre el plano catastral de la Gerencia Territorial de Jerez de 1999. El límite está marcado por una línea virtual que se apoya sobre referencias físicas permanentes y visibles. Su descripción literal es la siguiente:

Comienza la delimitación en el vértice sureste de la parcela catastral número 24 de la manzana 54802, denominado como punto «O», correspondiente al encuentro de la calle San Laureano con la Plaza de San Francisco y continúa en sentido contrario a las agujas del reloj por las fachadas a la calle San Laureano de la manzana 54802. Cruza la citada calle a la altura de las traseras de las parcelas de la manzana 55812, que recorre en sentido este, hasta desviarse por la medianera entre las parcelas 39 y 01 de la manzana 55812. Cruza la calle Granada en prolongación hasta la parcela 30 de la manzana 56821, recorriendo sus fachadas sur a la calle Granada y este a la calle Villamartín, así como las de la 29 a la calle Villamartín. Cruza la calle Corrales, recorre las fachadas más orientales de la manzana 56837, cruza la calle Ancha y recorre el límite noreste de la manzana 56845, hasta llegar a su parcela 26. Cruza la calle Marmanzano desde el vértice noroeste de la parcela 26 hasta el vértice sureste de la parcela 04 de la manzana 55845 y recorrer los límites este y norte de la citada manzana 55845, en la calle Blas Infante. Cruza en prolongación la calle San Jerónimo, recorre las traseras de las parcelas de la manzana 53832 y la medianera noroeste de su última parcela, para cruzar la calle Sotos y recorrer las fachadas norte de las parcelas de la manzana 52832. Cruza la calle Cauchil hasta el vértice sureste de la parcela 02 de la manzana 51834, recorre las traseras de las parcelas 02, 01 y 13 a 08, hasta salir al límite oeste de la manzana 51834 y recorrerlo en sentido sur por la trasera del Convento del Corpus Christi hasta su prolongación con la calle Ejido. Cruza la vía pública, recorre el límite oeste de la manzana 52826 y cruza la calle Puerto para recorrer por la calle Sobrealta el límite oeste de la manzana 52800. Al salir a la calle Calvario se desvía en sentido este por el límite sur de la citada manzana 52800, cruza la calle Alta y recorre las fachadas de la manzana 53793 a las calles Calvario, Cuevas y Amargura. Continúa en prolongación cruzando la calle Carretero hasta la altura de la línea de las traseras de la manzana 54805 a la calle Villalón, que recorre en sentido este, para cruzar a continuación la calle San Sebastián y continuar por la fachada sur de la parcela 24 de la manzana 54802, hasta enlazar con el punto «O», origen de la delimitación.

Imagen: /datos/imagenes/disp/2003/288/22055_13810576_image1.png

Imagen: /datos/imagenes/disp/2003/288/22055_13810576_image2.png

Imagen: /datos/imagenes/disp/2003/288/22055_13810576_image3.png

Imagen: /datos/imagenes/disp/2003/288/22055_13810576_image4.png

Imagen: /datos/imagenes/disp/2003/288/22055_13810576_image5.png

subir

Agencia Estatal Boletín Oficial del Estado

Avda. de Manoteras, 54 - 28050 Madrid