Contingut no disponible en català

Us trobeu en

Documento BOE-A-2025-1778

Resolución 420/38028/2025, de 22 de enero, de la Secretaría General Técnica, por la que se publican los nuevos Estatutos del Consorcio del Castillo de San Pedro de Jaca.

Publicado en:
«BOE» núm. 27, de 31 de enero de 2025, páginas 14202 a 14220 (19 págs.)
Sección:
III. Otras disposiciones
Departamento:
Ministerio de Defensa
Referencia:
BOE-A-2025-1778

TEXTO ORIGINAL

Suscrito el 19 de diciembre de 2024 los nuevos Estatutos del Consorcio del Castillo de San Pedro de Jaca que sustituyen a los contenidos en el anexo I del Convenio de Colaboración entre el Ministerio de Defensa, la Diputación General de Aragón, la Diputación Provincial de Huesca y el Ayuntamiento de Jaca, para la puesta en valor cultural del Castillo de San Pedro de Jaca firmado el 5 de febrero de 2008 y publicado en el «Boletín Oficial del Estado» núm. 51, de 28 de febrero de 2008, procede, de conformidad con el artículo 29 de dichos estatutos, su publicación en el «Boletín Oficial del Estado», figurando como anexo de esta resolución.

Madrid, 22 de enero de 2025.–El Secretario General Técnico, José Luis García Castell.

ANEXO
Estatutos del Consorcio del Castillo de San Pedro de Jaca
CAPÍTULO I
Disposiciones generales
Artículo 1. Referencias y antecedentes.

El artículo 31 de la Ley Orgánica 5/2005, de 17 de noviembre, de la Defensa Nacional, establece que el Ministerio de Defensa promoverá el desarrollo de la cultura de defensa con la finalidad de que la sociedad española conozca, valore y se identifique con su historia y con el esfuerzo solidario y efectivo mediante el que las Fuerzas Armadas salvaguardan los intereses nacionales. Asimismo, el resto de los poderes públicos contribuirán al logro de este fin.

Al amparo de lo dispuesto en el artículo 47 de la Ley 40/2015 de Régimen Jurídico del Sector Público, de 1 de octubre, las Administraciones Públicas podrán establecer Convenios. De la misma forma, según lo dispuesto en el capítulo 6 del Título II de la Ley 40/2015, de 1 de octubre (artículos 118 a 127), las Administraciones Públicas podrán crear Consorcios para el desarrollo de actividades de interés común a todas ellas dentro del ámbito de sus competencias.

Este convenio es de naturaleza administrativa, rigiéndose por lo dispuesto en el Título Preliminar y Capítulo VI, de la Ley 40/2015, de 1 de octubre, de Régimen Jurídico del Sector Público.

Las cuestiones litigiosas que pudieran surgir, sin perjuicio de las facultades de los órganos de gobierno para resolver los problemas de interpretación y cumplimiento del convenio, de conformidad con la Ley 29/1998, de 13 de julio, reguladora de la Jurisdicción contencioso-administrativa, serán de conocimiento y competencia del Orden Jurisdiccional de lo Contencioso-Administrativo.

Los presentes estatutos forman parte del convenio formalizado por resolución 420/38022/2008, de 21 de febrero, de la Secretaría General Técnica del Ministerio de Defensa, que quedará extinguido cuando concurra alguna de las circunstancias recogidas en el artículo 51, de la Ley 40/2015, de 1 de octubre, de Régimen Jurídico del Sector Público. La resolución del convenio no conllevará ningún tipo de indemnización para ninguna de las partes.

En todo caso, deberán finalizarse las actuaciones y actividades que se estén desarrollando o pendientes, en un plazo improrrogable acordado por las partes, a propuesta de los órganos de gobierno del Consorcio, trascurrido el cual el convenio será objeto de liquidación en los términos previstos en el apartado 2 del artículo 52 de la Ley 40/2015, de 1 de octubre.

Artículo 2. Constitución.

El Consorcio se constituyó en la ciudad de Jaca, es conocido como La Ciudadela, y tiene carácter de Ente Público, asociativo, voluntario y sin ánimo de lucro, con personalidad jurídica propia, independiente de la de sus miembros, que se rige por las disposiciones legales de su naturaleza y por los presentes estatutos que actualizan a los iniciales de su creación.

Artículo 3. Objeto, fines y funciones.

El Consorcio tiene por objeto la colaboración entre las instituciones que lo integran con la finalidad de gestionar, organizar e intensificar las actuaciones relativas a la conservación, investigación, restauración y revitalización del Castillo, así como la difusión de actuaciones y actividades, tanto civiles como militares. Para ello promoverá su empleo para usos civiles, sin que por ello pierda su propia esencia y uso militar, y de acuerdo con el Plan Director de Cultura de Defensa.

El Consorcio tiene dos funciones principales. La primera, una función cultural orientada a que todos los conciudadanos y visitantes puedan conocer y participar de su acervo cultural. La segunda, una función social orientada a que la ciudadanía pueda disfrutar de todas las instalaciones, servicios y actividades que se lleven a cabo en las instalaciones del Consorcio, así como a fomentar el conocimiento de la existencia del mismo a la ciudadanía.

Artículo 4. Competencias.

Para la consecución del objeto, finalidad y funciones del Consorcio, las competencias del Consorcio serán:

a. Conservar, mantener y restaurar la fortaleza y demás instalaciones cedidas al Consorcio del Castillo de San Pedro y cualesquiera que se adscriban.

b. Dirigir, mantener, conservar y ampliar los fondos del Consorcio y cualesquiera otros que se adscriban o cedan en depósito al Consorcio, tanto en lo que a fondos museísticos se refiere como a otros medios, formas y actos tendentes a la consecución del objeto del Consorcio.

c. Realizar o colaborar en publicaciones en general.

d. Colaborar con organismos, centros de enseñanza y cualesquiera otras entidades.

e. Adquirir bienes de toda clase, proyectar y ejecutar obras, organizar y realizar actividades, etcétera.

f. Promover y desarrollar cualesquiera otras actividades tendentes a la consecución del objeto y finalidades del Consorcio o a la obtención de recursos económicos para ello.

Sin perjuicio de la titularidad que sobre la totalidad de los inmuebles continúa ostentando el Ministerio de Defensa, el Consorcio gozará de plena capacidad de obrar para el cumplimiento de sus objetivos y consecuentemente con capacidad para realizar actos de administración y disposición de bienes, suscribir contratos, asumir obligaciones, interponer recursos y, en general, todos los actos necesarios para conseguir los objetivos que se fijen. La representación del Consorcio, como persona jurídica, se ejercerá por las personas y organización que se determinan en los presentes estatutos.

La existencia del Consorcio no supone la renuncia a las competencias propias del Ministerio de Defensa y, en particular, a las establecidas por la Ley de Patrimonio Histórico Español, a la Ley de Patrimonio de las Administraciones Públicas y las demás normas que sean de aplicación, que serán ejercidas por el órgano competente del Ministerio de Defensa.

Igualmente, la Diputación Provincial de Huesca (DPH), el Ayuntamiento de Jaca y, en su caso, la DGA, no renuncian a las competencias que tienen transferidas en relación con la gestión y tutela del Patrimonio Histórico.

Artículo 5. Régimen Jurídico.

El Consorcio se rige por lo establecido en Ley 40/2015, en la normativa autonómica de desarrollo y en sus estatutos. En lo que se refiere a la normativa aplicable, tendrá carácter supletorio respecto a lo dispuesto en la LRJSP, tanto de la Ley 7/1985, de 2 de abril, Reguladora de las Bases del Régimen Local, como de la ley 27/2013, de 21 de diciembre, de racionalización y sostenibilidad de la Administración Local sobre los Consorcios locales. En lo no previsto en la Ley 40/2015, en la normativa autonómica aplicable, ni en sus estatutos sobre el régimen del derecho de separación, disolución, liquidación y extinción, se estará a lo previsto en el Código Civil sobre la sociedad civil.

Artículo 6. Régimen de adscripción.

En virtud de lo dispuesto en el artículo 120, punto a, del Título II, Capítulo VI, de la ley 40/2015 de 1 de octubre, de Régimen Jurídico del Sector Público, el Consorcio del Castillo de San Pedro (CCSP) estará adscrito a la Administración General del Estado, ramo Ministerio de Defensa.

Artículo 7. Sede.

El domicilio del Consorcio se establece en la ciudad de Jaca, Avenida del Primer Viernes de Mayo s/n, 22700 Jaca (Huesca).

Artículo 8. Duración.

La duración del Consorcio será acorde con lo establecido en el convenio de creación, pudiendo disolverse por las causas previstas en estos estatutos.

CAPÍTULO II
De los miembros del Consorcio
Artículo 9. Clases de miembros.

El Consorcio se constituye por sus miembros promotores. Podrán adherirse, sin ánimo de lucro y sin prerrogativas soberanas en el funcionamiento del Consorcio, otras instituciones públicas y personas o entidades públicas o privadas, que tendrán la condición de miembros adheridos.

Podrán adherirse, o formar parte nuevamente de los miembros promotores, las instituciones públicas que se hubieran separado con anterioridad manteniendo las mismas prerrogativas que tuvieran antes de su separación. En todos los supuestos, previa aprobación de la Junta de Promotores y en las condiciones fijadas por la misma.

Todos los cargos y los miembros de la Junta de Promotores y de la Comisión Permanente tienen carácter honorífico y no pueden recibir retribución alguna por su pertenencia a dichos órganos.

Artículo 10. Miembros promotores.

1. Son miembros promotores del Consorcio las siguientes instituciones:

a) El Ministerio de Defensa.

b) La Diputación Provincial de Huesca.

c) El Ayuntamiento de Jaca.

La Diputación General de Aragón (DGA) fue miembro promotor, de los fundadores del Consorcio, que decidió desvincularse en 2015 y que podría responder, si fuera su voluntad y así lo manifestara, al segundo párrafo del artículo 9 de estos estatutos.

Las aportaciones económicas de los miembros promotores, son las que figuran en el Apéndice I de estos Estatutos.

Dichas aportaciones se actualizarán en función de la situación coyuntural económica y ante necesidades de proyectos específicos. En caso de que se produzcan cambios en las aportaciones, figurarán en el acta correspondiente de la Junta de Promotores.

A propuesta de la Comisión Permanente, si las entidades consorciadas o adheridas incumplieran sus compromisos de financiación o de otro tipo, las actividades del Consorcio se podrán ver limitadas –o incluso canceladas– en un porcentaje similar al de la falta de financiación para su desarrollo.

En el caso de que alguno de los miembros promotores o adheridos no satisficiera las aportaciones anuales para el funcionamiento del Consorcio, se reunirá la Junta de Promotores con carácter extraordinario para analizar la situación y tomar las medidas que se consideren oportunas para no impedir el normal cumplimiento del objeto y finalidades del Consorcio.

2. Son obligaciones de los miembros promotores:

a) Del Ministerio de Defensa:

1. Otorgar al Consorcio constituido, a través de la Dirección General de Infraestructura, concesión demanial de uso de los terrenos e instalaciones del Castillo de San Pedro (Ciudadela) de Jaca, incluidos los glacis, excepto las zonas edificadas que se detallan en el Apéndice II y manteniendo la reserva sobre las zonas y edificios o dependencias que se detallan en el Capítulo VII.

2. Aportar anualmente la cuantía que figura en el Apéndice I y que podrá modificarse según se determine por la Junta de Promotores.

3. De entre el personal perteneciente al Ejército de Tierra, dotar al Consorcio del personal militar y civil mínimo para su funcionamiento, establecido en las plantillas reglamentarias. Esta aportación surtirá efectos para determinar la financiación real, aportada por el Ministerio de Defensa al Consorcio.

b) De los otros Miembros Promotores:

1. Aportar anualmente la cuantía que figura en el Apéndice I y que podrá modificarse según se determine por la Junta de Promotores.

2. De acuerdo a sus posibilidades, aportar personal para la gestión y mantenimiento de las instalaciones del Consorcio.

3. Son derechos de los Miembros Promotores:

a) Formar la Junta de Promotores con las atribuciones soberanas sobre el Consorcio que se establezcan en los estatutos.

b) Tener representación en la Comisión Permanente.

c) Velar en todo momento para que el Consorcio desarrolle sus objetivos.

d) Participar, con personal, en los órganos del Consorcio.

Artículo 11. Miembros adheridos.

1. Puede ser miembro adherido del Consorcio, sin ánimo de lucro, previa aceptación por unanimidad de la Junta de Promotores, cualquier otra administración pública, institución, entidad, persona física o jurídica, que se comprometa a colaborar en el cumplimiento de los fines del Consorcio.

2. Son obligaciones de los miembros adheridos:

a) Satisfacer la aportación anual en la cuantía y forma que se convenga en la Junta de Promotores.

b) Aceptar, si así se acordara por los órganos competentes, los puestos de responsabilidad para los que hubieren sido elegidos y cumplir las obligaciones inherentes a dichos puestos.

3. Los miembros adheridos podrán asistir a las Juntas de Promotores, a petición de la propia Junta, con voz, pero sin voto.

4. Los miembros adheridos podrán estar representados en la Comisión Permanente cuando ésta así lo decida y en la forma por la misma acordada.

Artículo 12. Confidencialidad de la información.

La información que, en el marco de la participación en el consorcio, obtengan las partes del Ministerio de Defensa, con la expresa autorización de éste para su explotación, tendrá la consideración de «uso público» y podrá ser usada libremente sin restricciones.

Las partes acuerdan que el resto de la información que se revelen mutuamente o a la que puedan acceder durante las actividades desarrolladas en el marco del consorcio, tendrá la consideración de «uso oficial»; por lo que se comprometen a guardar la debida reserva sobre dicha información.

El citado deber de reserva permanecerá durante el periodo de vigencia del consorcio y subsistirá con posterioridad a la extinción de éste. Asimismo, las partes se comprometen a devolverse o destruir la documentación recibida en el momento de extinción del presente convenio sin que sea necesario requerimiento previo para ello.

Queda excluida del presente convenio la información clasificada del Ministerio de Defensa, cuya protección se regula por la normativa específica, y que no puede ser cedida a organismos o personas que no cuenten con los acuerdos o habilitaciones de seguridad pertinente.

Con respecto a los datos de carácter personal a los que las partes pudieran acceder con motivo de su participación en el consorcio, éstas se comprometen a utilizarlos únicamente conforme a lo dispuesto en el Reglamento (UE) 2016/679, del Parlamento Europeo y del Consejo, de 27 de abril de 2016 (Reglamento General de protección de datos, RGPD), en la Ley Orgánica 3/2018, de 5 de diciembre, de Protección de Datos Personales y garantía de los derechos digitales, en las disposiciones de desarrollo que se dicten o que actualicen esta normativa y en el resto de normas aplicables a esta materia.

La documentación de cada actividad particular que se realice al amparo del consorcio incluirá la cláusula correspondiente al tratamiento concreto de protección de datos de carácter personal de las partes, tratamiento que deberá quedar reflejado en el Registro de Actividades de Tratamiento, en los términos expuestos en el artículo 30 del RGPD.

Todo tratamiento de datos personales que vaya a realizar un tercero por cuenta de los responsables del tratamiento, se hará en calidad de encargado de tratamiento, para lo que deberá suscribirse un acto jurídico de encargo de tratamiento en los términos y condiciones previstos en el artículo 28 del RGPD.

CAPÍTULO III
Órganos de Gobierno y Administración. Organización del Consorcio
Artículo 13. Enumeración de los órganos de Gobierno.

El Consorcio, para el cumplimiento de sus fines, se rige por los siguientes órganos:

a) La Junta de Promotores.

b) La Comisión Permanente.

c) El Director del Castillo.

Artículo 14. Carácter y composición de la Junta de Promotores.

La Junta de Promotores es el máximo órgano de gobierno y dirección y del Consorcio y está integrada por:

– El Ministro de Defensa, o representante de su departamento en quien delegue, que la presidirá. Dicho representante será nombrado, en su caso, a propuesta del Jefe de Estado Mayor del Ejército de Tierra.

– El Presidente de la Diputación Provincial de Huesca o representante de la DPH en quien delegue.

– El Alcalde del Ayuntamiento de Jaca, o representante del Ayuntamiento en quien delegue.

– El Director del Castillo, que actuará como Secretario de la Junta de promotores, con voz, pero sin voto.

Podrán participar en las sesiones de la Junta de Promotores los miembros adheridos previa autorización de aquélla.

Artículo 15. Competencias de la Junta de Promotores.

Corresponde a la Junta de Promotores:

a) Fijar las directrices y criterios generales de actuación del Consorcio.

b) Aprobar los reglamentos y normas de régimen interior del Consorcio.

c) Aprobar el presupuesto, memoria, balance y cuentas anuales del Consorcio que le presente la Comisión Permanente.

d) Aceptar o denegar donaciones, cesiones, depósitos, adscripciones de propiedades, etc., destinados al Consorcio.

e) Aprobar la admisión de nuevos miembros promotores o readmisión de aquellos que lo hubieran sido con anterioridad.

f) Aprobar la admisión o readmisión de miembros adheridos.

g) Estudiar y aprobar, en su caso, la modificación de los estatutos, previa consulta de cada uno de los representantes a las instituciones promotoras.

h) Aprobar la separación de un miembro promotor del Consorcio, previa consulta de cada uno de los representantes a las instituciones promotoras.

i) Acordar la disolución del Consorcio, previa consulta de cada uno de los representantes a las instituciones promotoras.

j) Resolver las controversias que se susciten como consecuencia de la aplicación de los presentes estatutos.

k) A propuesta de la Comisión Permanente, revisar y elevar al Ministerio de Defensa, para su aprobación, el Plan Anual de Actuación e impulsar su ejecución. Asimismo, se elevarán al Ministerio de Defensa las actualizaciones de la Programación Plurianual de carácter estratégico.

l) Revisar y aprobar el Plan Director del Castillo (en lo que concierne al Consorcio) e impulsar su ejecución.

Artículo 16. Reuniones de la Junta de Promotores.

La Junta de Promotores se reunirá, como mínimo, una vez al año, sin perjuicio de hacerlo tantas veces como fuera necesario para la buena marcha del Consorcio. Será convocada por su Presidente, o bien lo hará a petición de cualquiera de sus miembros al Presidente.

Para que pueda constituirse, celebrar sesiones y adoptar acuerdos se requiere la presencia del Presidente y de los representantes de las instituciones consorciadas. La convocatoria deberá cursarse por escrito con una antelación mínima de diez días hábiles.

Los acuerdos se adoptarán siempre por unanimidad. Podrán asistir a las sesiones que celebre la Junta de Promotores aquellas otras personas que sus miembros consideren conveniente o necesario para poder exponer su parecer en asuntos concretos, pero sin derecho a voto.

Las reuniones podrán llevarse a cabo de forma telemática y, si las circunstancias lo requieren, por otros medios tecnológicos disponibles. En cualquier caso, de cada sesión, el secretario levantará la correspondiente acta, que deberá ser firmada por todos sus miembros.

Artículo 17. Competencias del Presidente de la Junta de Promotores.

El Presidente de la Junta de Promotores es el Presidente del Consorcio correspondiéndole su representación ante los tribunales, juzgados, autoridades, entidades, organismos y personas físicas o jurídicas, firmando los documentos correspondientes. En casos de urgencia justificada, podrá ordenar o resolver los asuntos que, encomendados a la Comisión Permanente, requiera la buena marcha del Consorcio, dando cuenta de ello en la primera reunión que celebre dicha Comisión a través del secretario de la Junta de Promotores que lo es, también, de la Comisión Permanente. Para estas funciones podrá delegar en el Presidente de la Comisión Permanente.

Nombrará al Director del Castillo y al segundo de los representantes del Ministerio de Defensa en la Comisión Permanente de entre los coroneles destinados en la plaza de Jaca.

Artículo 18. Composición de la Comisión Permanente.

La Comisión Permanente estará constituida por los siguientes miembros:

a) Dos representantes del Ministerio de Defensa. Uno de ellos será el Subdelegado de Defensa de Huesca y otro el nombrado por el Presidente de la Junta de Promotores. El más antiguo de estos dos representantes presidirá la Comisión permanente.

b) Un representante de la Diputación Provincial de Huesca.

c) Un representante del Ayuntamiento de Jaca.

d) El Director del Castillo, que actuará como Secretario de la Comisión Permanente, con voz y con voto.

Cada una de las instituciones consorciadas nombrará específicamente a sus representantes. Además de los miembros antes expresados, podrán formar parte de la Comisión Permanente, sin derecho a voto, los asesores o peritos convocados por la misma y los representantes de miembros adheridos cuando así se decida.

Artículo 19. Competencias de la Comisión Permanente.

Corresponde a la Comisión Permanente:

a) Constituir el órgano ejecutivo y de dirección del Consorcio.

b) Proponer a la Junta de Promotores el texto de las Normas de Régimen Interior, así como sus modificaciones.

c) Preparar, informar y elevar a la Junta de Promotores, para su aprobación, el presupuesto y cuentas anuales del Consorcio.

d) Aprobar y modificar, con sujeción al presupuesto anual aprobado, los servicios necesarios para el buen funcionamiento del Consorcio.

e) Ordenar los gastos que no estén expresamente reservados a otros órganos y designar a la persona que, junto con el Director del Castillo, ordena y autoriza los gastos de funcionamiento habitual del Consorcio.

f) Informar las peticiones de los miembros adheridos y elevarlas, en su caso, a la Junta de Promotores.

g) Proponer a la Junta de Promotores la actualización o modificaciones en los estatutos del Consorcio.

h) Proponer a la Junta de Promotores las líneas estratégicas y criterios que regirán las actividades del Consorcio según la revisión trianual de la Programación Plurianual, de carácter estratégico del Consorcio, y el Plan Anual de Actuación.

i) Proponer a la Junta de Promotores la aceptación o denegación de donaciones, cesiones, depósitos, etc., destinados al Consorcio.

j) Encargar, aprobar y contratar toda clase de proyectos, obras, reformas, instalaciones y servicios, así como la compra y enajenación de bienes de toda clase, y cualesquiera otros contratos encaminados al cumplimiento de los objetivos del Consorcio, todo ello dentro de los límites del presupuesto anual aprobado y las limitaciones establecidas en la concesión demanial.

k) Ejercitar, por delegación del Presidente de la Junta de Promotores, cualquier clase de acciones, ante todo tipo de tribunales, juzgados, autoridades, organismos y personas físicas o jurídicas tendentes a la defensa de los bienes, derechos y acciones del Consorcio, otorgando poderes a favor de procuradores de los tribunales.

l) Ejecutar el presupuesto anual y presentar sus resultados a la Junta de Promotores.

m) Realizar cualquier otro acto que se requiera para la buena marcha, funcionamiento y gestión del Consorcio que no esté expresamente reservado a otro órgano.

La Comisión Permanente podrá delegar en uno o varios de sus miembros alguna o algunas de las facultades que le corresponden.

Artículo 20. Reuniones de la Comisión Permanente.

La Comisión Permanente se reunirá, como mínimo, cuatrimestralmente, sin perjuicio de hacerlo tantas veces como fuera necesario para la buena marcha del Consorcio.

Para las reuniones extraordinarias, la Comisión Permanente será convocada por su Presidente que, también deberá hacerlo a petición, como mínimo, de dos de sus miembros. La convocatoria debe cursarse por escrito con una antelación mínima de cinco días hábiles.

Para que pueda constituirse, celebrar sesiones y adoptar acuerdos se requiere la presencia de la mayoría legal de sus miembros, debiéndose adoptar dichos acuerdos por mayoría simple de los votos de los asistentes. No podrán celebrarse sesiones sin la presencia del Presidente y del Secretario.

Podrán asistir a las sesiones que celebre la Comisión Permanente aquellas otras personas que sus miembros consideren conveniente para poder exponer su parecer en asuntos concretos, sin derecho a voto.

Las reuniones podrán llevarse a cabo de forma telemática y, si las circunstancias lo requieren, por otros medios tecnológicos disponibles. En cualquier caso, de cada sesión, el Secretario de la Comisión levantará la correspondiente acta que deberá ser firmada por el Presidente y el Secretario.

Artículo 21. Director del Castillo.

Será designado por el Presidente de la Junta de Promotores. Su nombramiento recaerá en un oficial del Ejército de Tierra.

Es el encargado de la gestión de las actividades del Consorcio y de la administración de los recursos ordinarios del mismo. Asimismo, es el encargado de aquellos asuntos que le delegue la Junta de Promotores y la Comisión Permanente del Consorcio.

Artículo 22. Competencias del Director.

Corresponde al Director del Consorcio:

a) Gestionar directamente las actividades y administración de los recursos ordinarios del Consorcio, de conformidad con los acuerdos de la Comisión Permanente y las directrices marcadas por la Junta de Promotores.

b) Elevar los anteproyectos del presupuesto y memoria anuales y someter a la Comisión Permanente las iniciativas que considere necesarias y oportunas en orden al cumplimiento de los objetivos del Consorcio.

c) Llevar el inventario de todos los bienes del Consorcio, con expresión de su modalidad y titularidad.

d) Dirigir al personal militar y civil del Ministerio de Defensa, así como a cualquier otro de cualquier administración que trabaje en beneficio del Consorcio.

e) Elevar, en su caso, al órgano con competencia para ello, la documentación relativa a faltas graves y muy graves del personal contratado por el Consorcio.

f) Despachar y suscribir la correspondencia ordinaria, así como formular, suscribir y elevar a las autoridades, organismos, entidades y personas físicas y jurídicas las peticiones derivadas de los acuerdos, programas, directrices y sugerencias adoptadas por los demás órganos del Consorcio.

g) Ordenar y autorizar los gastos y pagos preferentes, forzosos y voluntarios hasta la cantidad acordada por la Comisión Permanente.

h) Ordenar y autorizar los gastos de funcionamiento habitual del Consorcio.

i) Gestionar, preparar y desarrollar las actividades aprobadas por la Comisión Permanente.

j) Suscribir los contratos de servicios y de trabajo previamente aprobados por la Comisión Permanente.

k) Recabar las autorizaciones correspondientes y divulgar, en la forma más adecuada y que estime conveniente, las actividades a desarrollar por el Consorcio.

l) Velar por el mantenimiento de todos los bienes muebles e inmuebles adscritos al Consorcio.

m) Custodiar el archivo de la documentación correspondiente al Consorcio.

n) Remitir a los miembros promotores, anualmente, un resumen de la actividad desarrollada y situación contable del Consorcio.

o) Ejercer la función de secretario de la Junta de Promotores y de la Comisión Permanente.

Artículo 23. Órgano de Administración.

Bajo la dependencia del Director del Consorcio, corresponde al órgano de administración:

a) Llevar la administración del Consorcio.

b) Confeccionar el presupuesto y las cuentas anuales del Consorcio.

c) Formalizar y elaborar las cuentas generales.

d) Confeccionar los expedientes de contratación.

e) Confeccionar la documentación de las correspondientes auditorias.

f) Efectuar, de conformidad con la Ley General Presupuestaria, la carga de información en las aplicaciones determinadas por la normativa administrativa del Estado. En el momento del desarrollo de este convenio:

– REDCOA. Para presentar a la IGAE las Cuentas anuales de sujetas a la Instrucción de contabilidad para la Administración Institucional del Estado.

– FINANCIA. Para integrar los presupuestos del Consorcio en los Presupuestos Generales del Estado.

g) Habilitar y aplicar el sistema de facturación electrónica y sus pagos.

h) Materializar la inclusión del Consorcio en los procedimientos de Contratación Centralizada.

CAPÍTULO IV
Régimen presupuestario, de contabilidad, control económico-financiero y patrimonial
Artículo 24. Ejercicio económico.

El ejercicio anual del Consorcio coincide con el año natural.

Artículo 25. Patrimonios e ingresos.

1. El Consorcio cuenta con su patrimonio propio que estará constituido por los ingresos propios del Consorcio, las aportaciones de sus miembros fundadores y los bienes que pudiera adquirir a lo largo de su vigencia. Las aportaciones de los miembros podrán ser plenas, con reserva de propiedad o en la forma que convenga.

Los salarios del personal adscrito al Ministerio de Defensa y, en su caso, los del personal de alguno de los miembros promotores, que presten sus servicios para el funcionamiento y apoyo al Consorcio, así como los servicios que son financiados con créditos de dicho Ministerio o miembro promotor, deben ser tenidos en cuenta para la contabilización de la aportación del Ministerio de Defensa o del correspondiente miembro promotor al Consorcio.

2. Los ingresos del Consorcio estarán constituidos por:

a) Los productos procedentes de las visitas, alquiler de espacios, actividades y publicaciones generales del propio Consorcio.

b) Las aportaciones de los miembros promotores y adheridos.

c) Donaciones de terceros.

d) Otros fondos que, procedentes de subvenciones, donaciones u otros medios, se aporten al Consorcio.

3. Para asegurar la cantidad de actividades o proyectos que por su importe o duración sean susceptibles de dudas sobre su financiación, la Junta de Promotores aprobará la actividad de que se trate con la condición de que, si no existen ingresos suficientes en el Consorcio para la anualidad de la misma, se posponga para el año siguiente o se cancele la realización de dicha actividad o proyecto.

Artículo 26. Actividad económico-administrativa.

El Consorcio del Castillo de San Pedro, en el aspecto de la gestión económico-financiera, estará sujeto al régimen de presupuestación, contabilidad y control del Ministerio de Defensa y conforme a lo que establece a ese respecto la Ley 40/2015 de RJSP y a lo dispuesto en la Ley 47/2003, de 26 de diciembre, General Presupuestaria, en su normativa de desarrollo y en lo previsto en los estatutos. Asimismo, el CCSP es un poder adjudicador a los efectos de los contratos que adjudique.

El procedimiento de gestión en detalle se define en el Apéndice III a estos estatutos.

Artículo 27. Control de la actividad del Consorcio.

El control interno de la gestión económico-financiera será ejercido por la Intervención General de la Defensa conforme a lo previsto en el título VI de LGP.

Asimismo, el consorcio, como entidad integrante del sector público institucional estatal, está sometido al control de eficacia y supervisión continua. Para ello, deberá contar, con un plan de actuación, que contendrá las líneas estratégicas en torno a las cuales se desenvolverá su actividad, que se revisará cada tres años, y que se completará con planes anuales que desarrollarán el de creación para el ejercicio siguiente.

El control de eficacia será ejercido por el Ministerio de Defensa, a través de la Inspección de servicios.

Además, el Consorcio está sujeto desde su creación hasta su extinción a la supervisión continua del Ministerio de Hacienda y Administraciones Públicas, a través de la Intervención General de la Administración del Estado.

Artículo 28. Régimen de personal.

El personal al servicio del Consorcio podrá ser funcionario, personal militar o laboral y habrá de proceder de las administraciones participantes. Su régimen jurídico será el de la administración pública de adscripción y sus retribuciones en ningún caso podrán superar las establecidas para puestos de trabajo equivalentes en aquella.

Cuando no resulte posible contar con personal procedente de las administraciones participantes en el Consorcio, en atención a la singularidad de las funciones a desempeñar, el Ministerio de Hacienda y Administraciones Públicas, u órgano competente de la administración a la que se adscriba el Consorcio, podrá autorizar la contratación directa de personal por parte del Consorcio para el ejercicio de dichas funciones. Para ello, podrá celebrar los contratos de la naturaleza que estime oportuna para proveerse del personal necesario para el cumplimiento de sus fines.

CAPÍTULO V
Modificación de los estatutos, separación y disolución del Consorcio
Artículo 29. Modificación de los estatutos.

La modificación de los estatutos se producirá a propuesta de uno o varios miembros promotores. La Comisión Permanente la estudiará y, en su caso, la elevará a la Junta de Promotores que la aprobará previa consulta de cada uno de los representantes a las instituciones promotoras. El borrador resultante de esta aprobación se elevará, definitivamente, al Ministerio de Defensa para su ratificación y publicación en el «Boletín Oficial del Estado».

Las modificaciones realizadas serán publicadas en los Boletines Oficiales correspondientes de cada administración consorciada.

Artículo 30. Efectos del ejercicio del derecho de separación del Consorcio.

1. El ejercicio del derecho de separación produce la disolución del Consorcio salvo que el resto de sus miembros acuerden su continuidad y sigan permaneciendo en el Consorcio, al menos, dos Administraciones, entidades u organismos públicos vinculados o dependientes de más de una administración.

2. El derecho de separación habrá de ejercitarse mediante escrito razonado y notificado a la Junta de Promotores del Consorcio.

3. Cuando el ejercicio del derecho de separación no conlleve la disolución del Consorcio se aplicarán las siguientes reglas:

a) Se calculará la cuota de separación que corresponda a quien ejercite su derecho de separación, de acuerdo con la participación que le hubiera correspondido en el saldo resultante del patrimonio neto, de haber tenido lugar la liquidación.

b) En defecto de determinación de la cuota de liquidación se tendrá en cuenta, tanto el porcentaje de las aportaciones al fondo patrimonial del Consorcio que haya efectuado quien ejerce el derecho de separación, como la financiación concedida cada año. Si el miembro del Consorcio que se separa no hubiere realizado aportaciones por no estar obligado a ello, el criterio de reparto será la participación en los ingresos que, en su caso, hubiera recibido durante el tiempo que ha pertenecido al Consorcio.

c) Se acordará por el Consorcio la forma y condiciones en que tendrá lugar el pago de la cuota de separación, en el supuesto en que esta resulte positiva, así como la forma y condiciones del pago de la deuda que corresponda a quien ejerce el derecho de separación si la cuota es negativa.

d) La efectiva separación del Consorcio se producirá una vez determinada la cuota de separación, en el supuesto en que ésta resulte positiva, o una vez se haya pagado la deuda, si la cuota es negativa.

e) Si el Consorcio estuviera adscrito, de acuerdo con lo previsto en la Ley, a la administración que ha ejercido el derecho de separación, tendrá que acordarse por el Consorcio a quién se adscribe, de las restantes administraciones o entidades u organismos públicos vinculados o dependientes de una administración que permanecen en el Consorcio, en aplicación de los criterios establecidos en la Ley.

f) En caso de que alguna de las entidades consorciadas incumpliera sus compromisos de financiación o de otro tipo, las actividades del Consorcio se verán limitadas en proporción equivalente al citado incumplimiento de los compromisos citados.

g) El miembro que ejercite su derecho de separación podrá renunciar, por escrito, a percibir la cuota de separación.

4. Los bienes sobre los que una administración consorciada ostente la titularidad permanecerán en depósito, en el Consorcio, por el plazo mínimo de un año contados a partir de la fecha de la renuncia de aquella.

Artículo 31. Disolución del Consorcio.

1. La disolución del Consorcio produce su liquidación y extinción. En todo caso será causa de disolución que los fines para los que fue creado el Consorcio hayan sido cumplidos.

2. La disolución del Consorcio no conllevará ningún tipo de indemnización para ninguna de las partes.

3. Procederá la disolución del Consorcio:

a) Cuando, por unanimidad, así lo estime la Junta de Promotores.

b) Cuando concurran los supuestos legalmente establecidos.

c) Será causa de resolución del Consorcio la conclusión del Convenio por la imposibilidad sobrevenida de cumplir el fin o el incumplimiento grave acreditado por una de las partes. En caso de disolución, y una vez satisfechas todas las obligaciones pendientes, los bienes resultantes revertirán a los miembros Promotores en proporción a sus aportaciones. Las aportaciones e inversiones realizadas en el propio inmueble no serán objeto de reversión. Para efectuar la liquidación, la Junta de Promotores nombrará un liquidador que será un órgano o entidad, vinculada o dependiente, de la administración pública a la que el Consorcio esté adscrito.

d) El liquidador calculará la cuota de liquidación que corresponda a cada miembro del Consorcio de acuerdo con la participación que le corresponda en el saldo resultante del patrimonio neto tras la liquidación, teniendo en cuenta que el criterio de reparto se hará de forma proporcional al porcentaje de las aportaciones que haya efectuado cada miembro del Consorcio al fondo patrimonial del mismo como la financiación concedida cada año. Si alguno de los miembros del consorcio no hubiere realizado aportaciones porno estar obligado a ello, el criterio de reparto será la participación en los ingresos que, en su caso, hubiera recibido durante el tiempo que ha pertenecido en el Consorcio.

4. En el caso que resten obligaciones adquiridas por el Consorcio, la liquidación definitiva del mismo no se podrá llevar a cabo hasta la finalización de las mismas.

5. Se acordará por el Consorcio la forma y condiciones en que tendrá lugar el pago de la cuota de liquidación en el supuesto en que ésta resulte positiva.

6. En cualquier caso, se estará a lo expresado en el artículo 127 de la Ley 40/2015 de Régimen Jurídico del Sector Público.

CAPÍTULO VI
Patrimonio mueble, documental y bibliográfico del Consorcio del Castillo de San Pedro
Artículo 32. Fondos de museos y colecciones museográficas.

Los fondos de los museos y las colecciones museográficas del Consorcio del Castillo de San Pedro estarán constituidos por los que se adquieran, en las modalidades siguientes:

a) Fondos depositados, sin pérdida de titularidad, por las instituciones que constituyen el Consorcio y que se regirán por la legislación específica de cada institución.

b) Fondos depositados, sin pérdida de titularidad, por otras instituciones, personas y entidades públicas o privadas.

c) Fondos cedidos en propiedad al Consorcio o adquiridos por el mismo, sobre los que ostentará titularidad plena el propio Consorcio.

De todos los fondos se llevará un detallado inventario, indicando la modalidad de cada uno.

Artículo 33. Uso de los fondos y colecciones museográficas.

Atendiendo a los objetivos del Consorcio, se mantendrán abiertas al público salas destinadas a la exposición de toda clase de objetos, colecciones bibliográficas y documentales, para la lectura y consulta no sujeta a otras disposiciones.

En las salas se expondrán y depositarán aquellos objetos, bienes y documentos que, de su propiedad o de terceros, disponga el Consorcio. Para su exposición y divulgación, las instituciones y organismos públicos, entidades y personas públicas o privadas podrán ceder al Consorcio, en las condiciones que se convengan, bienes y objetos para ser expuestos en las salas de sus museos, bien sea con carácter permanente o temporal.

CAPÍTULO VII
Reservas militares
Artículo 34. Dependencias excluidas.

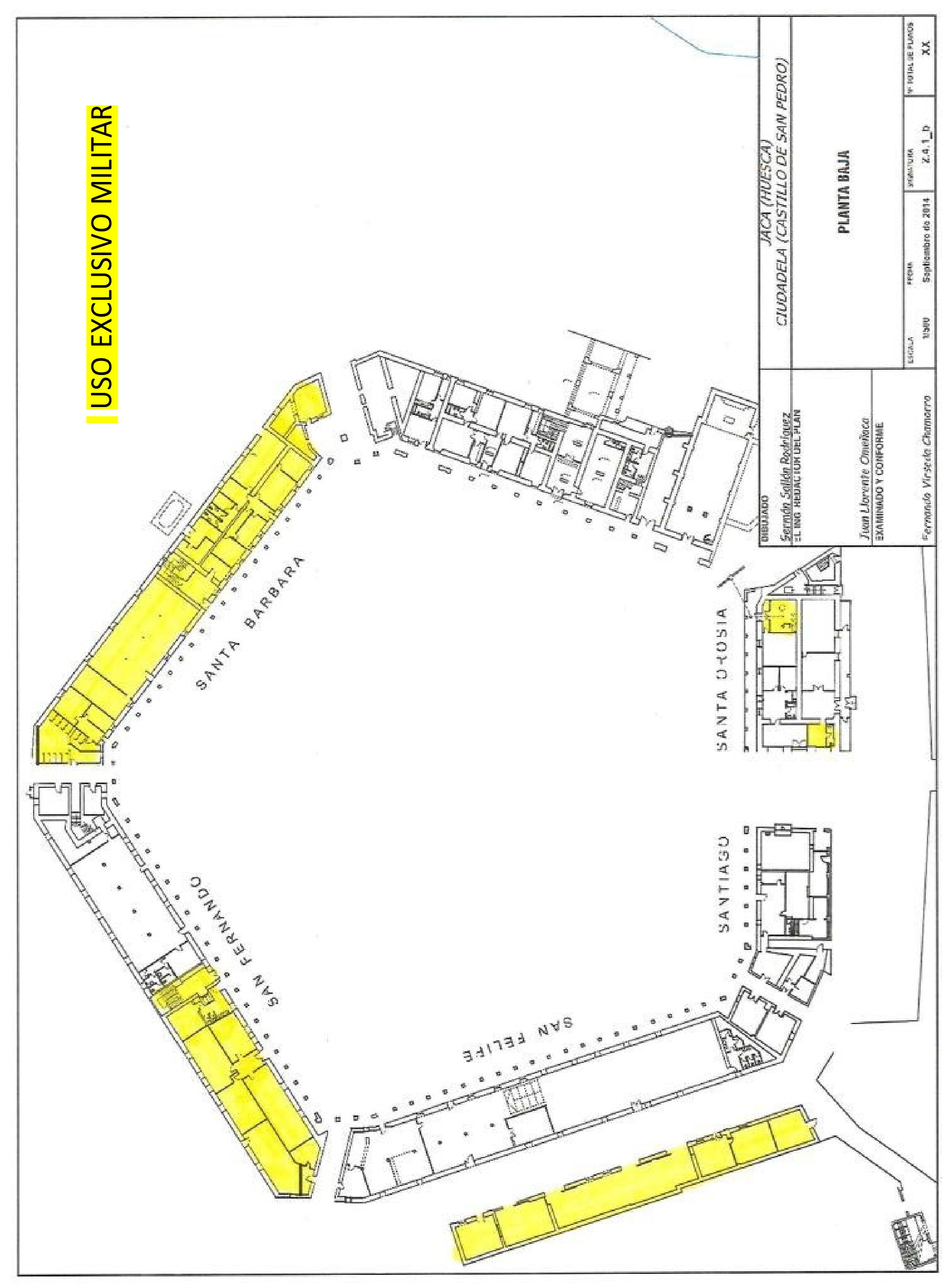
En el apéndice II se detallan las instalaciones que quedan de uso exclusivo del Ministerio de Defensa. En los terrenos, instalaciones y bienes cedidos al Consorcio del Castillo de San Pedro no existe ninguna reserva que sea mantenida por el Ministerio de Defensa.

En las futuras cesiones que pudieran hacerse al Consorcio, por parte del Ministerio de Defensa o por cualquier otro órgano de la administración pública, se detallarán en una adenda separada las reservas que, si fuera el caso, se establezcan sobre las propiedades cedidas.

Artículo 35. Necesidades de la defensa.

La existencia del Consorcio no supone la renuncia a las competencias propias del Ministerio de Defensa y, en particular, de las establecidas por la Ley del Patrimonio Histórico Español, la Ley de Patrimonio de las Administraciones Públicas y las referidas a las zonas de seguridad que afecten a la propia naturaleza de las Fuerzas Armadas, lo que obliga a que no podrá realizarse, sin autorización del Ministerio de Defensa, obras, trabajos, instalaciones o actividades de clase alguna dentro de la zona de seguridad, según lo dispuesto en el Reglamento de zonas e instalaciones de interés para la Defensa Nacional, que desarrolla la Ley 8/1975, de 12 de marzo, y con objeto de asegurar la actuación eficaz de los medios de que disponga la instalación militar, así como el aislamiento conveniente para garantizar su seguridad, la cual no debe verse disminuida.

Asimismo, el Ministro de Defensa se reserva el uso total, con carácter temporal, de los terrenos e instalaciones cedidos demanialmente al Consorcio, en caso de que las necesidades de la Defensa Nacional así lo requieran.

En el Capítulo 1 del Título IV de la Ley 33/2003, de 3 de noviembre, del Patrimonio de las Administraciones Públicas, se regula la utilización de los bienes y derechos de dominio público y, por tanto, la competencia, las condiciones y el procedimiento que rige el otorgamiento de las autorizaciones y concesiones demaniales.

La realización de obras de cualquier naturaleza dentro del inmueble que se cede deberá contar con la autorización expresa del Ministerio de Defensa, sin que dichas obras puedan suponer carga, gravamen o limitación alguna para este Departamento. Las obras de reparación y acondicionamiento que se hayan realizado durante la vigencia del Consorcio serán adquiridas gratuitamente por el Ministerio de Defensa al término de la concesión.

Jaca a 19 de diciembre de 2024.–El Secretario de la JP, Joaquín Moreno Molero.–El Presidente de la DPH, Isaac Claver Ortigosa.–El Alcalde de Jaca, Carlos Serrano Pérez.–El Presidente de la Junta de Promotores Representante del Ministerio de Defensa, César de Cea Quijano.

APÉNDICE I
A los Estatutos del Consorcio del Castillo de San Pedro

Aportaciones de los Miembros Promotores

Las aportaciones económicas de los Miembros Promotores en la fecha de actualización de los estatutos, son las que se reflejan en el cuadro siguiente y que serán incrementadas, anualmente, en el IPC:

Miembros promotores Euros
Ministerio de Defensa. 12.000,00
Diputación Provincial de Huesca (DPH). 18.000,00
Ayuntamiento de Jaca. 18.000,00
APÉNDICE II
A los Estatutos del Consorcio del Castillo de San Pedro

Detalle de las áreas edificadas que se ceden al Consorcio del Castillo de San Pedro y las que quedan de uso exclusivo del Ministerio de Defensa

Imagen: /datos/imagenes/disp/2025/27/1778_15255544_1.png

Imagen: /datos/imagenes/disp/2025/27/1778_15255544_2.png

Imagen: /datos/imagenes/disp/2025/27/1778_15255544_3.png

APÉNDICE III
A los Estatutos del Consorcio del Castillo de San Pedro

Actividad Económico-Administrativa

1. El Consorcio estará sujeto al régimen de presupuestación, contabilidad y control del Ministerio de Defensa, sin perjuicio de su sujeción a lo previsto en la Ley Orgánica 2/2012, de 27 de abril. Organizará su régimen económico mediante el correspondiente presupuesto anual, cuya estructura será homogénea con la establecida para la Administración del Estado. Los ingresos se clasificarán teniendo en cuenta su naturaleza económica y, en cuanto a los gastos, se seguirán criterios funcionales y económicos teniendo en cuenta las finalidades que se propongan conseguir. Las bases de ejecución se adaptarán a la organización y circunstancias del Consorcio, para una acertada gestión.

2. El Director del Castillo y secretario de la Comisión Permanente, antes del 15 de mayo de cada año, presentará a la Comisión Permanente el anteproyecto de presupuesto para el año siguiente. Una vez aprobado por la Comisión Permanente, el Director del Castillo y secretario de la Junta de Promotores, lo presentará a la Junta de Promotores, antes del 1 de junio para que pueda estar aprobado durante el primer semestre.

El Presupuesto del Consorcio tiene naturaleza estimativa y le es de aplicación la regulación que para estos organismos se establece en la Ley General Presupuestaria. En consecuencia, la aprobación del presupuesto no devendrá en firme y ejecutiva mientras no haya recaído la aprobación de los presupuestos correspondientes a las Instituciones Promotoras del Consorcio.

En el supuesto de que se produjesen modificaciones en las aportaciones inicialmente previstas, el presupuesto definitivo del Consorcio, se habrá de adecuar por la Junta de Promotores una vez producida la aprobación por aquellas instituciones.

En el caso de iniciarse un ejercicio económico sin haber entrado en vigor el presupuesto correspondiente, se entenderán prorrogados, por trimestres, los créditos iniciales del periodo anterior, hasta que entre en vigor el nuevo presupuesto.

La prórroga no afectará a los créditos para servicios o programas que hubieran de concluirse dentro del ejercicio anterior, o que estén financiados con créditos de otros ingresos específicos o afectados.

3. El presupuesto de cada ejercicio se cerrará el 31 de diciembre del año natural correspondiente. La liquidación se habrá de practicar antes del día 31 de marzo del ejercicio siguiente y su aprobación corresponderá a la Comisión Permanente.

4. De acuerdo con lo establecido en la Ley General Presupuestaria y la Instrucción de Contabilidad del Estado en vigor, el Consorcio está obligado a rendir cuentas de sus operaciones, cualquiera que sea la naturaleza de las mismas, al Tribunal de Cuentas por conducto de la Intervención General de la Administración del Estado.

5. El Consorcio, al finalizar el ejercicio presupuestario, elaborará, formulará y aprobará las cuentas anuales conforme a lo dispuesto en la Ley General Presupuestaria, en la Instrucción de Contabilidad para la Administración Institucional y en las demás disposiciones que sean de aplicación.

6. Las cuentas anuales se formularán en el plazo máximo de tres meses desde el cierre del ejercicio económico y, en el caso de ser auditadas, lo serán por el órgano de control de la administración de adscripción, sin perjuicio de someterse a auditorías externas que, por decisión de la Junta de Promotores, se quieran realizar. De acuerdo con lo previsto en la Ley General Presupuestaria, y como entidad con presupuesto estimativo, las cuentas anuales comprenderán:

a) Balance.

b) Cuenta de resultado económico-patrimonial.

c) Estado de cambios en el patrimonio neto.

d) Estado de flujos de efectivo.

e) Memoria.

f) Informe adicional a la memoria.

Dichas Cuentas anuales tendrán en cuenta lo dispuesto en la Resolución de 28 de julio de 2011, de la IGAE por la que se aprueba una adaptación del Plan General de Contabilidad Pública a estos organismos, se adecuan determinados documentos de las cuentas anuales y se suprimen otros como el estado de liquidación del presupuesto.

7. Antes del 31 de julio de cada año, se remitirá a la Intervención General de Administración del Estado:

a) Información complementaria para la confección de la CGE.

b) Información para la consolidación de la CGE.

c) Cuestionario de supervisión continua de entidades.

d) Y, en su caso, anexos del sistema para información del mecanismo de recuperación y resiliencia (MMR).

8. Tras la formulación de las cuentas por el Director del Castillo, deberán ponerse a disposición de los auditores, a efectos de que, en el plazo legalmente establecido, se pueda efectuar su auditoria.

9. La Comisión Permanente aprobará, previa delegación de competencias por la Junta de Promotores, las cuentas anuales y una vez aprobadas serán remitidas por el Director del Castillo a la Intervención General de la Administración del Estado antes del 31 de julio.

10. El Consorcio rendirá al Tribunal de Cuentas, por conducto de la Intervención General de la Administración General del Estado, las cuentas anuales aprobadas, a cuyo objeto tendrá la condición de cuentadante el gerente de la entidad. El procedimiento para la rendición de cuentas será el establecido en el artículo 139 de la Ley 47/2003, de 26 de diciembre, General Presupuestaria.

subir

Agència Estatal Butlletí Oficial de l'Estat

Avda. de Manoteras, 54 - 28050 Madrid