Contingut no disponible en valencià

Us trobeu en

Documento BOE-A-2025-24931

Acuerdo GOV/266/2025, de 11 de noviembre, por el que se declara bien cultural de interés nacional, en la categoría de monumento histórico, la Casa Roura, en Canet de Mar (Maresme), y se delimita su entorno de protección.

Publicado en:
«BOE» núm. 293, de 6 de diciembre de 2025, páginas 160541 a 160543 (3 págs.)
Sección:
III. Otras disposiciones
Departamento:
Comunidad Autónoma de Cataluña
Referencia:
BOE-A-2025-24931

TEXTO ORIGINAL

Por la Resolución de 16 de diciembre de 1976 (BOE núm. 12, de 14 de enero de 1977), se incoó expediente de declaración de monumento histórico-artístico a favor de la Casa Roura en Canet de Mar.

Por la Resolución CLT/941/2025, de 14 de marzo (DOGC núm. 9374, de 19 de marzo de 1925), se incoó el expediente de delimitación del entorno de protección de la Casa Roura en Canet de Mar (Maresme), se abrió un periodo de información pública y se acumuló al expediente anterior de declaración.

Se han cumplido todos los trámites preceptivos en la instrucción de este expediente, de acuerdo con lo que establecen los artículos 8 y siguientes de la Ley 9/1993, de 30 de septiembre, del patrimonio cultural catalán.

En el expediente constan los informes favorables del Consejo Asesor del Patrimonio Cultural Catalán y del Institut d'Estudis Catalans.

Durante la tramitación de este expediente no se han presentado alegaciones.

A propuesta de la Consejera de Cultura, el Gobierno acuerda:

1. Declarar bien cultural de interés nacional, en la categoría de monumento histórico, la Casa Roura en Canet (Maresme) según la ubicación y la descripción que constan en el anexo 1 de este acuerdo.

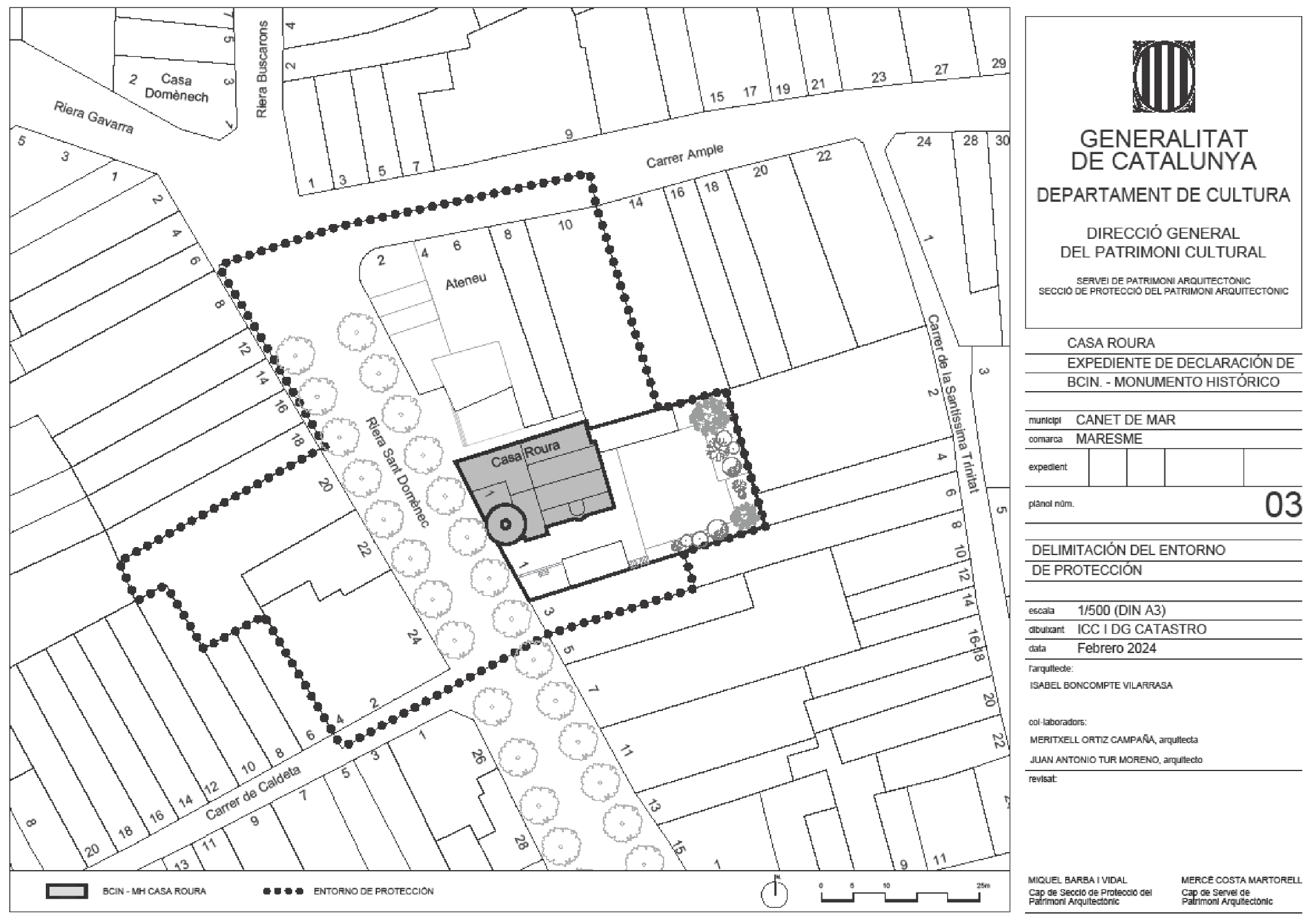
2. Delimitar el entorno de protección de este monumento. Este entorno se grafía en el plano que se publica con este acuerdo y según la justificación que consta en el anexo 2.

3. Incluir como objeto de protección el subsuelo del monumento.

4. Publicar íntegramente este acuerdo en el «Diari Oficial de la Generalitat de Catalunya» y en el «Boletín Oficial del Estado», de conformidad con lo previsto en el artículo 12 de la Ley 9/1993, de 30 de septiembre, del patrimonio cultural catalán, y notificarlo a las personas interesadas y al ayuntamiento del municipio donde radica el bien.

Contra este acuerdo, que agota la vía administrativa, se podrá interponer recurso potestativo de reposición ante el Gobierno de la Generalidad de Cataluña, en el plazo de un mes, o bien recurso contencioso-administrativo ante el Tribunal Superior de Justicia de Cataluña en el plazo de dos meses, a contar, en los dos casos, desde el día siguiente a la publicación en el «Diari Oficial de la Generalitat de Catalunya» o desde el día siguiente a la correspondiente notificación.

Barcelona, 11 de noviembre de 2025.–El Secretario del Gobierno, Javier Villamayor Caamaño.

ANEXO 1
Ubicación y descripción

La Casa Roura se ubica en la riera de Sant Domènec, número 1, en medio del casco antiguo del municipio de Canet de Mar, y es obra del arquitecto Lluís Domènech i Montaner. La Casa se encuentra en una situación privilegiada, dada su proximidad al mar y a edificios emblemáticos como el Ateneu Catalanista, actual biblioteca, el Ayuntamiento, y la casa museo de Domènech i Montaner, obra del mismo arquitecto.

El edificio se construyó entre 1891 y 1892 después de derribar un viejo caserón que ocupaba la parcela. Fue proyectado a los cuatro vientos, con el zócalo elevado para evitar las riadas y con la voluntad de ofrecer su espectacularidad a las fachadas orientadas al mar, que son las más trabajadas, ya que en el momento de su construcción no había edificios entre esta y la línea de costa. El edificio consta de planta sótano, planta baja, planta piso y bajo cubierta.

Lluís Domènech i Montaner diseñó una casa combinando el estilo modernista de la época y las influencias medievales, como las ornamentaciones florales, incluyendo elementos fantasiosos y mitológicos. Posiblemente, esta sea su obra que expresa con mayor claridad las preocupaciones modernistas, entre las que destacan la expresión directa de los materiales de construcción en la conformación del edificio, la obra de ladrillo visto, la estructura de la cubierta y los voladizos. También destacan los elementos cerámicos como las gárgolas de la torre, el uso del hierro forjado en las barandillas y las cerchas del salón comedor.

El gran salón comedor en la parte central, a doble altura, cubierto con una impresionante cercha de madera construida a modo de construcción naval invertida, es un ejemplo de la calidad espacial del interior. Este espacio tiene un aspecto medievalista con una perfecta combinación entre arquitectura y oficios artesanales. El espacio, a doble altura, deja fluir la luz a través de la galería de ventanales de la parte superior de la habitación.

Si en el interior Domènech i Montaner refleja el repertorio modernista, en el exterior trabaja las fachadas con la misma fuerza ornamental que en el interior, con balcones de hierro y cubiertas de tejas vidriadas, gárgolas en la torre, y acabados con tonalidades de elementos de cerámica vidriada. Proyecta el coronamiento de las fachadas, tanto la principal como la posterior, escalonado al estilo de la arquitectura medieval de los Países Bajos. La cubierta del edificio está a dos vertientes con pendientes pronunciadas formadas por teja árabe coloreada. La construcción se completó con la fantástica torre situada en la esquina sur, de gran diámetro, que realizaba las funciones de mirador. Es de planta circular y tiene una cubierta cónica con revestimiento de teja vidriada policromada en forma de escama y con alternancia cromática.

Este es un edificio relevante porque representa uno de los ejemplos del primer período de la obra de Domènech i Montaner. Como en la Casa Navàs, que realizará posteriormente, aparecen características que se desarrollarán a fondo en las futuras etapas; además del tema de la decoración floral como vocabulario básico, destacan la decoración con vidrieras de colores, la chimenea de estilo medievalista, con elementos florales, fantasiosos y mitológicos, el mobiliario original, los trabajos de ebanistería, los pavimentos con mosaicos, y la ornamentación en general. Todo esto forma unos espacios únicos de gran valor patrimonial.

ANEXO 2
Justificación del entorno de protección

La definición de un entorno de protección en torno a la Casa Roura en Canet de Mar se presenta como el mejor instrumento para garantizar la pervivencia de sus múltiples valores culturales en las mejores condiciones posibles.

Se trata de evitar que la alteración de este entorno, entendido como el espacio que da soporte ambiental al bien, pueda afectar a los valores, la contemplación o el estudio del monumento histórico. Por ello, entre otros aspectos, es necesario que en este ámbito se vele por la correcta visualización del bien y por la integración armónica de las posibles edificaciones, instalaciones o usos que puedan establecerse en el futuro.

Se pretende alcanzar el equilibrio entre la necesidad de crear esta área de protección alrededor del bien que garantice suficientemente su preservación, y la voluntad de no afectar a más espacios de los estrictamente necesarios.

De acuerdo con estos criterios, se justifican, a continuación, los elementos urbanos incorporados en el entorno de protección.

En la parte norte, en esquina con la riera de Sant Domènec y la calle Ample números 2, 4, 6 se sitúa el Ateneo. La parte posterior del Ateneo es adyacente a la Casa Roura y tiene una influencia visual directa en la fachada lateral del monumento. Por este motivo, es necesario incluirla en el entorno de protección. Además, existe una continuidad visual cercana desde la misma riera de Sant Domènec, vía principal, donde se generan perspectivas conjuntas con el monumento.

También se incluyen en el entorno las fincas números 8 y 10 de la calle Ample, al norte del monumento. Su inclusión se debe a que la fachada posterior también confronta con la Casa Roura y, además, la finca número 10 genera visuales conjuntas desde el propio patio y la fachada posterior del monumento. De ahí que sea necesaria su inclusión.

En cuanto a los otros edificios situados en la riera de Sant Miquel, se incluyen también en el entorno de protección la finca núm. 3 porque es adyacente a la Casa Roura en el lado sur, y las fincas colindantes números 20, 22, y 24 en esquina. Todas estas fincas generan un soporte ambiental y visual cercano al monumento a conservar en el futuro. También se incluye el tramo del espacio público de la riera de Sant Domènec que también tiene influencia en el monumento.

En conclusión, esta delimitación del entorno permite garantizar la conservación del monumento, su entorno cercano, y asegurar su control y coherencia con la inclusión de las fincas que están en contacto con el edificio, ya sea física o visualmente.

Imagen: /datos/imagenes/disp/2025/293/24931_16397147_1.png

subir

Agència Estatal Butlletí Oficial de l'Estat

Avda. de Manoteras, 54 - 28050 Madrid