Contingut no disponible en català
El Estatuto de Autonomía de Extremadura, en la redacción dada por la Ley Orgánica 1/2011, de 28 de enero, recoge como competencia exclusiva en su artículo 9.1.47 la «Cultura en cualquiera de sus manifestaciones», así como el «Patrimonio Histórico y Cultural de interés para la Comunidad Autónoma».
En desarrollo de esta competencia se dictó la Ley 2/1999, de 29 de marzo, de Patrimonio Histórico y Cultural de Extremadura. El artículo 1.2 de la norma determina: «Constituyen el Patrimonio Histórico y Cultural de Extremadura todos los bienes tanto materiales como intangibles que, por poseer un interés artístico, histórico, arquitectónico, arqueológico, paleontológico, etnológico, científico, técnico, documental y bibliográfico, sean merecedores de una protección y una defensa especiales. También forman parte del mismo los yacimientos y zonas arqueológicas, los sitios naturales, jardines y parques que tengan valor artístico, histórico o antropológico, los conjuntos urbanos y elementos de la arquitectura industrial, así como la rural o popular y las formas de vida y su lenguaje que sean de interés para Extremadura».
De acuerdo con lo dispuesto en el artículo 5.1 de la citada ley, los bienes más relevantes del patrimonio histórico y cultural extremeño deberán ser declarados de interés cultural en la forma que el propio artículo detalla.
Por su parte, el artículo 6.1 de la misma ley, al establecer la clasificación de los bienes que puedan ser declarados de interés cultural, incluye, en el apartado e) la categoría de Zona Arqueológica, definida así: «Lugar donde existen bienes muebles o inmuebles susceptibles de ser estudiados con metodología arqueológica, tanto si se encuentran en la superficie como si se encuentran en el subsuelo o bajo las aguas que discurran dentro del territorio de la Comunidad».
Antes de iniciar el trámite para su declaración como Bien de Interés Cultural, el castillo contaba con la protección derivada de la disposición adicional segunda de la Ley 2/1999, de 29 de marzo, de Patrimonio Histórico y Cultural de Extremadura, que le confiere la consideración genérica de Bien de Interés Cultural. Como resultado, el castillo carecía de una delimitación específica, lo que hacía necesario establecer un entorno de protección que coincida con la zona arqueológica que se describe a continuación.
Ha de significarse a tales efectos, que el castillo, situado en el extremo oeste del casco urbano de la población, es un bien escasamente conocido y estudiado. La actual localidad de Arroyo de la Luz, anteriormente conocida como «Arroyo del Fresno» y «Arroyo del Puerco», fue conquistada en 1229 por Alfonso IX de León, como parte del territorio de Cáceres, tras lo cual se inició un proceso repoblador.
La construcción del castillo se llevó a cabo en su totalidad durante el siglo XV, entre 1439 y 1483. Su alzado podría estar relacionado con la guerra entre el señor del castillo, García de Herrera, y Álvaro de Estúñiga, que tuvo lugar entre 1453 y 1471, así como con la guerra de sucesión castellana entre 1475 y 1479. La vida útil del castillo fue breve, ya que en el siglo XVI comenzó su progresivo abandono, dado que los señores poseían un palacio en la misma población. A lo largo de los siglos siguientes continuó su desmantelamiento; se convirtió en cementerio local desde 1843 hasta 1889, momento en el que adquirió el aspecto diáfano que presenta hoy. Desde finales del siglo XX, el castillo ha sufrido la construcción de varias edificaciones en su entorno.
El castillo está construido con mampostería, lajas de pizarra y sillería. Su recinto presenta un cuerpo principal de forma rectangular, donde se encuentra su única puerta. El espacio principal está rodeado por una liza y una barbacana con varios torreones conservados, aunque otros han sido destruidos. Se cree que alrededor de toda la barbacana hubo un foso.
A pesar de su algo deficiente estado de conservación, este conjunto es un bien patrimonial de gran interés histórico, al representar un ejemplo significativo de las fortalezas erigidas en el contexto de los conflictos territoriales y dinásticos del siglo XV.
Por otra parte, el artículo 8.1 de la Ley 2/1999, de 29 de marzo, determina que dentro del expediente de declaración de un Bien de Interés Cultural es necesaria una descripción clara y precisa del bien o bienes que permita su identificación, con sus pertenencias y accesorios, así como la delimitación del entorno necesario para la adecuada protección del bien cuando se trate de inmuebles. La zona afectada estará constituida por el espacio, construido o no, que da apoyo ambiental al bien y cuya alteración pudiera afectar a sus valores, a la contemplación o al estudio de este.
La competencia para dictar esta resolución corresponde a la Consejera de Cultura, Turismo, Jóvenes y Deportes, a tenor de lo dispuesto en el artículo 7.1 de la Ley 2/1999, de 29 de marzo, de Patrimonio Histórico y Cultural de Extremadura.
Vista la propuesta favorable de la Directora General de Bibliotecas, Archivos y Patrimonio Cultural de fecha de 13 de enero de 2025, y, en el ejercicio de las competencias atribuidas en materia de patrimonio cultural, histórico-arqueológico, monumental, artístico y científico de interés para la región, recogidas en el artículo 2.1 de la Ley 2/1999, de 29 de marzo, de Patrimonio Histórico y Cultural de Extremadura, así como de las facultades conferidas por el artículo segundo del Decreto de la Presidenta 16/2023, de 20 de julio, por el que se modifican la denominación y las competencias de las Consejerías que conforman la Administración de la Comunidad Autónoma de Extremadura, y demás preceptos de general aplicación, resuelvo:
Incoar expediente para la declaración de Bien de Interés Cultural del «Castillo de los Herrera» de la localidad de Arroyo de la Luz (Cáceres), con la categoría de zona arqueológica, de acuerdo con lo descrito en los anexos, para el reconocimiento y protección de este elemento del patrimonio cultural extremeño.
Continúese la tramitación del expediente, de acuerdo con la legislación vigente.
Remítase esta resolución al «Diario Oficial de Extremadura» para su publicación y la apertura de un trámite de información pública por período de un mes.
Notifíquese a las personas interesadas, al Ayuntamiento de Arroyo de la Luz (Cáceres) y al Registro General de Bienes de Interés Cultural del Ministerio de Cultura para que conste en su inscripción provisional, y publíquese en el «Boletín Oficial del Estado».
Este expediente se podrá consultar por cualquier persona durante el periodo de información pública en las dependencias de la Dirección General de Bibliotecas, Archivos y Patrimonio Cultural (Avda. Valhondo, s/n. módulo 4, planta 2.ª, 06800 Mérida, Badajoz).
Mérida, 27 de enero de 2025.–La Consejera de Cultura, Turismo, Jóvenes y Deportes, Victoria Bazaga Gazapo.
Se publica, como anexo, un extracto del informe de los servicios técnicos de la Dirección General de Bibliotecas, Archivos y Patrimonio Cultural, de 29 de noviembre de 2024. El Informe íntegro al que hace referencia la resolución de incoación consta en el expediente administrativo correspondiente. Este expediente se podrá consultar en las dependencias de la Dirección General de Bibliotecas, Archivos y Patrimonio Cultural (Avenida Valhondo, s/n. Módulo 4, Planta 2.ª, 06800 Mérida, Badajoz) por las personas interesadas en el procedimiento, de acuerdo con lo dispuesto en los artículos 12 y siguientes de la Ley 19/2013, de 9 de diciembre, de transparencia, acceso a la información pública y buen gobierno y los artículos 15 y siguientes de la Ley 4/2013, de 21 de mayo, de Gobierno Abierto de Extremadura.
Introducción histórica
El inicio de la reconquista del territorio cacereño lo acomete Fernando II de León hacia 1169. La zona de Arroyo de la Luz («Arroyo del Fresno» en este periodo según algunas informaciones) fue conquistada en 1229 por Alfonso IX de León como parte del territorio de Cáceres, empezando en esa fecha el proceso repoblador. En esta situación, y como villa de realengo, estuvo hasta que en 1305 (primera vez que se nombra la localidad) Fernando IV de Castilla quiso entregar, en virtud de un acuerdo, las villas de Medellín y Arroyo del Puerco al Infante Alfonso de Portugal y a su mujer, Violante. Este hecho contó con la oposición de la villa de Cáceres y de la población local, argumentando la imposibilidad legal de dicha cesión, en virtud de la documentación entregada por Alfonso IX a la villa de Cáceres tras su conquista, en la que se garantizaba que este territorio siempre sería de realengo, al igual que otros como Malpartida, Torreorgaz, Sierra de Fuentes, El Casar, Torrequemada y Aldea del Cano. Por este motivo, se revirtió el acuerdo.
Posteriormente, durante la primera guerra civil castellana (1351-1369) entre Pedro I «el Cruel» y su hermanastro Enrique II, Arroyo se independizará de Cáceres en 1360, pasando a depender de García González de Herrera (1344-1404), muy vinculado a Sancho de Alburquerque, quien sería muy favorecido por Enrique II, por haber combatido a su lado en la guerra referida, motivo por el que fue nombrado Mariscal de Castilla y recibió numerosas posesiones, entre las que se encontraban, además de Arroyo, las villas de Talaván y Serrejón.
En 1397, cuando se dirigía a Cáceres para su conquista en una fallida expedición de castigo, el Condestable portugués Nuno Álvarez Pereira invadió y saqueó el territorio de Arroyo, el cual permaneció en manos de Portugal hasta 1400.
En 1402, Enrique III concedió escudo de armas a la localidad, consistentes en un Fresno o roble y en un verraco o puerco, convirtiéndose Arroyo en señorío propio de García González de Herrera, ya independiente de Cáceres.
Algunas fuentes sugieren la preexistencia de una fortaleza islámica en el emplazamiento del actual castillo. Según los estudios de Antonio Navareño y Pilar Mogollón, el recinto principal podría datar del siglo XIV, mientras que la barbacana, con sus saeteras en los cubos en forma de cruz, se habría construido en el siglo XV. No obstante, como veremos a continuación, existen razones que indican que el castillo fue erigido en su totalidad en el siglo XV.
El citado García González de Herrera, primer señor de Arroyo, y su esposa María de Guzmán, con quien contrajo matrimonio en segundas nupcias tras la muerte de Estefanía Fernández de Monroy (de quien heredó varias propiedades en la Tierra de Plasencia), tuvieron dos hijos: Pedro y Juana. Tras el fallecimiento de García en 1404, su viuda asumió el gobierno del territorio hasta que en 1410 y 1411 los hermanos se repartieron la mitad de las posesiones. Dos años después, con el fallecimiento de su madre, se repartieron la totalidad de la herencia. En ese momento, Pedro se convirtió en dueño de numerosas tierras y villas dentro y fuera de Extremadura, entre ellas las de Pedraza de la Sierra y Arroyo. Sin embargo, en un exhaustivo inventario de bienes realizado en 1408 por María de Guzmán (que incluye incluso el ajuar doméstico de cada una de las casas de su propiedad) y publicado por Alfonso Franco, no se menciona ningún castillo en Arroyo. En cambio, se especifica lo siguiente sobre los bienes de la familia en el lugar: «El lugar de Arroyo del Puerco con su justicia y con sus palacios. El mariscal posee en este lugar unas casas y una bodega en la plaza, cinco viñas y 1.200 ovejas. Andrés Pérez, mayordomo, debe al mariscal 19.000 maravedíes de las rentas de este lugar».
En 1410, María de Guzmán, a petición de su hijo Pedro al alcanzar éste la mayoría de edad ordenó la redacción de otro inventario de rentas de carácter solariego y jurisdiccional. En este inventario se incluyen varios apuntes sobre Arroyo del Puerco, entre los cuales destaca el siguiente: «En la labor de la torre de Arroyo del Puerco, 2500 maravedíes en el año 1406». No se detalla, sin embargo, la ubicación de esta torre, aunque es probable que perteneciera a alguno de los otros edificios que el matrimonio poseía en Arroyo. Esto es corroborado por el hecho de que, en el reparto definitivo de bienes realizado entre los dos hermanos en 1411, el castillo sigue sin mencionarse, lo que refuerza la idea de que la construcción del castillo aún no se había llevado a cabo en ese momento.
Pedro casó con Blanca Enríquez y falleció en 1430. De este matrimonio nacieron seis hijos, siendo el primogénito García de Herrera, quien tomará posesión de su herencia en 1439, año en el que también se casó con María Niño, hija del renombrado marino castellano Pedro Niño. Un acontecimiento clave en la historia de Arroyo de la Luz fue el fallecimiento de Pedro Niño en 1453, lo que desencadenó una disputa testamentaria que llevó a los bandos formados por sus hijas Leonor Niño y María Niño, junto a sus respectivos esposos, Diego de Estúñiga y García de Herrera, a levantarse en armas. Como resultado, García de Herrera y sus huestes ocuparon Valverde de la Vera y Talaván, mientras que don Álvaro de Estúñiga también se alzó en armas. La situación se tornó tan grave que Enrique IV impuso una paz provisional en 1455. El conflicto perduró hasta 1471, fecha en la que ambos contendientes se repartieron la herencia del suegro.
Durante el siglo XV, Arroyo, como toda Extremadura, se vio envuelta en la guerra dinástica entre Isabel la Católica y Juana «la Beltraneja». En esta, García de Herrera, tercer señor de Talaván, Serrejón y Arroyo del Puerco, tomó partido por Isabel. Según Javier García Carrero: «García de Herrera, señor de Arroyo del Puerco (…) se sumó con todas sus huestes al bando de Isabel desde el 27 de julio de 1472 cuando estableció capitulaciones matrimoniales para casar a su única hija, Blanca de Herrera, con Bernardino Fernández de Velasco, primogénito del segundo conde de Haro y heredero de una de las familias más poderosas de Castilla y otro de los más firmes puntales en los que se apoyó Isabel I en su lucha contra la pretendiente Juana (…). A partir de ese instante, García de Herrera entroncó con la más alta nobleza del reino castellano».
García de Herrera falleció en 1483, año en el que sus bienes pasaron a su hija Blanca de Herrera, quien, a su vez, los entregó a su esposo, el mencionado Bernardino Fernández de Velasco. En 1485 falleció María Niño. En su testamento, fechado en ese mismo año, se relacionan los bienes que poseía esta, consignándose entre estas posesiones «la mitad de las labores de la fortaleza de Arroyo del Puerco que se hizo durante su matrimonio», al igual que la mitad de la fortaleza de Pedraza, que se hizo en las mismas fechas. Parece claro, por tanto, que la fortaleza de Arroyo se construyó entre 1439 y 1483, fechas del enlace y del fallecimiento de García de Herrera.
En cuanto al motivo de la construcción del castillo, es posible que su alzado tuviera relación con el conflicto entre García de Herrera y Álvaro de Estúñiga entre 1453 y 1471; y con la guerra de sucesión castellana entre 1475 y 1479. En 1479, en el Tratado de Alcaçovas se reconoció a los monarcas Isabel y Fernando.
Blanca de Herrera y Bernardino de Velasco tuvieron una hija, Ana de Velasco. Blanca de Herrera falleció en 1499, y su viudo, quien moriría en 1512, fue siempre muy favorecido por los Reyes Católicos debido a la lealtad que les mostró. Por este motivo recibió el título de duque de Frías en 1492, así como el de condestable y camarero mayor. En 1502, el duque de Frías casó en segundas nupcias con la hija bastarda de Fernando el Católico, Juana de Aragón. Por su parte, su hija Ana de Velasco se casó con Alonso de Pimentel, conde de Benavente. Las capitulaciones matrimoniales de este matrimonio, fechadas en 1501, también reflejan un reparto de las posesiones de los Herrera entre padre e hija. En este documento consta lo siguiente: «Doña Ana llevará en dote a su futuro esposo un millón de maravedíes. Que su padre el condestable le daba en ajuar y plata y los bienes que le correspondía heredar de su madre: la villa de Arroyo del Puerco con su fortaleza (…)». En 1502 se produjo el enlace, y con él los bienes de Ana de Velasco pasaron como dote a su marido. Así, tras el fallecimiento de su padre Bernardino en 1512, Ana se convirtió en el último miembro del linaje del mariscal García González de Herrera.
Desde fines del siglo XV y durante todo el siglo XVI, Arroyo viviría una etapa de prosperidad, siendo en este período cuando se construyeron importantes edificaciones como la iglesia parroquial y el convento de San Francisco. Es en este siglo cuando los Reyes Católicos conceden el señorío jurisdiccional propio a los señores de Arroyo y Benavente, como simboliza el rollo de la localidad, que data de 1503. Pero será ya en el mismo siglo XVI cuando comience el progresivo abandono del castillo, al poseer los señores un palacio en la misma población, localizado actualmente en la calle Germán Petit, 49, el cual acoge hoy el colegio Nuestra Señora de los Dolores.
Durante la guerra de restauración portuguesa en el siglo XVII, la localidad volvió a sufrir numerosos ataques, especialmente entre 1646 y 1648. Fueron señores de la villa en este siglo, según Panadero Rubio: «Juan Alonso Pimentel (VIII Conde); Juan Francisco Alonso Pimentel (X Conde); y Antonio Alonso Pimentel de Quiñones y Herrera (XI Conde)».
Los ataques derivados de la guerra con Portugal debieron afectar gravemente al castillo, ya que, según la documentación existente, en 1707 se describe la fortaleza como «en las afueras de la villa malparada y en partes arruinada». Posteriormente, tras los conflictos de la Guerra de Sucesión, en 1791 se indica que el castillo «está casi arruinado, no se habita ni tiene habitación, y es propiedad del excelentísimo señor dueño de la jurisdicción (Conde de Benavente)».
Durante el siglo XVIII, los señores de Arroyo fueron, según Panadero Rubio, «Francisco Alonso Pimentel y de la Cueva (XII Conde); Antonio Francisco Alfonso Pimentel de Quiñones López de Zúñiga Sotomayor y Mendoza (XIII Conde); Francisco Alfonso Pimentel y Borja (XIV Conde); y María Josefa de la Soledad (XV Condesa de Benavente hasta su muerte en 1834)».
El siglo XIX no empezó con mejor fortuna para la población, pues los franceses ocupan la localidad entre 1808 y 1809, durante la Guerra de la Independencia. El último señor de la villa fue el XVI Conde, Pedro de Alcántara Téllez, quien ejerció su poder hasta 1837, al suprimirse los señoríos jurisdiccionales.
Respecto al devenir del castillo, desde 1843 hasta 1889, año de la inauguración de un nuevo camposanto, se utilizó el castillo como cementerio. Fue probablemente en este período cuando se demolieron los restos de las estructuras interiores, lo que le dio al lugar el aspecto diáfano que presenta actualmente, adaptándose así a su nuevo uso funerario. En la memoria del «Proyecto básico de consolidación, restauración y puesta en valor del castillo de los Herreras», Pablo Terrón Macías plantea que sería en esta fecha «(…) cuando se rellenaron los desniveles existentes desde el acceso a la calle del Castillo, configurando el actual callejón a lo largo del siglo XIX para acceso al cementerio (…)». Además, según el mismo autor: «(…) en parte, los niveles y rasantes actuales del suelo están modificados por rellenos de escombros de las ruinas, y posteriormente ya en nuestros días por el derribo de nichos, panteones y tumbas».
En 1937, la población cambió el nombre de Arroyo del Puerco por el de «Arroyo de la Luz».
Ya en el siglo XXI, alrededor del año 2000, el castillo sufrió una grave agresión debido a la construcción de varias edificaciones y cocheras sobre la barbacana en su lado norte, lo que provocó la destrucción o el ocultamiento de estructuras que hasta entonces se habían conservado. En 2023, el Ayuntamiento de Arroyo inició los trámites para la restauración del castillo.
Descripción
El castillo, construido mediante mampostería, lajas de pizarra y sillería, se asienta sobre una especie de zócalo artificial, perfectamente definido en sus lados sur y oeste, y parcialmente en el lado norte. Los bordes de este zócalo en sus lados sur y oeste coinciden con el trazado de un acueducto que llevaría sus aguas hasta el vecino convento franciscano, del cual se conserva un tramo con vuelo en el entorno de la zona norte. Seguramente el acueducto fue construido aprovechando estructuras del castillo en fecha posterior al castillo en relación con el citado convento. Una inscripción en el mismo indica «(…) Año de 1803», fecha posible tanto de la construcción como, más probablemente, de la reparación del acueducto.
El recinto del castillo presenta un cuerpo principal de forma rectangular, en cuyo lienzo este se ubica una única puerta, formada por un arco de medio punto. Este espacio está rodeado por una liza y una barbacana, de la cual se conservan dos torreones, aunque el correspondiente a la esquina noreste ha desaparecido. La barbacana ha sufrido los mayores daños en la zona norte, debido a la construcción de nuevas edificaciones alrededor del año 2000. No obstante, se conserva en este frente un lienzo de unos dos metros y medio de altura, de mampostería, que corresponde a esta barbacana y linda con la vía pública. Se estima que alrededor de toda la barbacana existía un foso.
El acceso al recinto principal se realiza a través de un arco de medio punto con dovelas de granito, que da paso a un espacio abovedado que permite la entrada al recinto, con una superficie aproximada de mil ciento cincuenta metros cuadrados. Junto a esta puerta de acceso, en el exterior, se encuentran dos huecos: una ventana abocinada, situada a muy baja altura y cegada, y una saetera a un nivel superior. Según la memoria del proyecto de restauración, el ancho de los muros del recinto principal es de 2,40 metros. El almenaje se conserva en el muro sur, aunque se ha perdido casi por completo en los demás muros.
Interiormente, son visibles mechinales en los muros que dan idea de unas estructuras de forjados de tres plantas totalmente desaparecidas. También se conservan en los muros restos de los enterramientos anejos del siglo XIX, tales como zonas enlucidas, inscripciones, arranques de bóvedas, etc., los cuales poseen interés histórico.
Originalmente, la barbacana debió de poseer ocho torreones, tres situados en sus flancos delantero y trasero (de los cuales cuatro estarían en las esquinas y dos en la zona central de los flancos norte y sur). Todos ellos disponían de accesos independientes y tenían plantas circulares o semicirculares, excepto el torreón central del flanco sur, que era de planta cuadrada. Casi todos ellos, a excepción del único conservado en la zona norte, mantienen los arranques del muro de la barbacana. Los cubos conservados son los siguientes:
– Frente a la fachada sureste, la principal, subsisten dos cubos, los llamados este y sureste. El primero de ellos, de planta exterior semicircular, posee una saetera de forma cruciforme, estando cubierto mediante una cúpula de dovelas de piedra de pizarra y granito. Por su parte, el cubo sureste, de planta circular, tiene varias troneras y bóveda de arista de dovelas de pizarra y granito, rematada por una clave, también de granito con forma de semiesfera.
– El cubo sur es el único que presenta una forma rectangular. Este cuenta con una tronera y está cubierto por una bóveda de cañón construida con dovelas de granito y pizarra, además de un revestimiento de ladrillo que se añadió posteriormente a la edificación original.
– El cubo suroeste tiene una planta semicircular, varias saeteras y restos de almenaje.
– El cubo norte tiene una forma semicircular y está dotado de varias saeteras de palo y orbe. Su cobertura es una bóveda de cañón, y además cuenta con una cubierta de madera y teja.
Es importante señalar que tanto la escasa altura de la puerta principal como los evidentes derrumbes, así como el hecho de que el castillo haya sido utilizado como cementerio, sugieren que los niveles de rasante actuales son considerablemente más elevados que los originales. Por lo tanto, solo una intervención arqueológica podría esclarecer diversos aspectos de la construcción original.
Estado de conservación
El estado del conjunto es deficiente, siendo la mayor pérdida patrimonial la del lienzo norte, donde se ha producido la destrucción u ocultación de dos de los tres torreones originales, así como de la barbacana y la liza, debido a la construcción de edificaciones y cocheras en torno al año 2000. En cuanto al resto del castillo, los muros de la edificación principal se mantienen en pie y el adarve se conserva parcialmente. Sin embargo, la mayor parte del almenaje ha desaparecido, salvo en el frente sur.
En cuanto a la barbacana, la mayor parte de esta ha desaparecido o no es visible actualmente. Su trazado se conoce gracias a los cubos conservados y al resto del lienzo del frente norte. Tal como se ha señalado, actualmente no hay rastro visible de dos de los cubos que originalmente se encontraban en las esquinas del lienzo norte, y se conserva solo uno.
Las patologías presentes en todo el conjunto, según el proyecto de restauración del castillo promovido por el Ayuntamiento de Arroyo de la Luz, son las habituales en edificios en avanzado estado de deterioro: pérdidas de material por meteorización y disgregación debido a agentes meteorológicos, que afectan especialmente a los paramentos exteriores y a la coronación de los muros; grietas (destacando una significativa en el lienzo sur) y oquedades; pérdida de rejuntados en la mampostería; deterioro del zócalo, visible en el cubo sureste; pérdida de la coronación y del revestimiento de los muros; y vegetación invasiva. Además, algunos paramentos presentan una considerable pérdida de material (sillares), probablemente a causa del expolio.
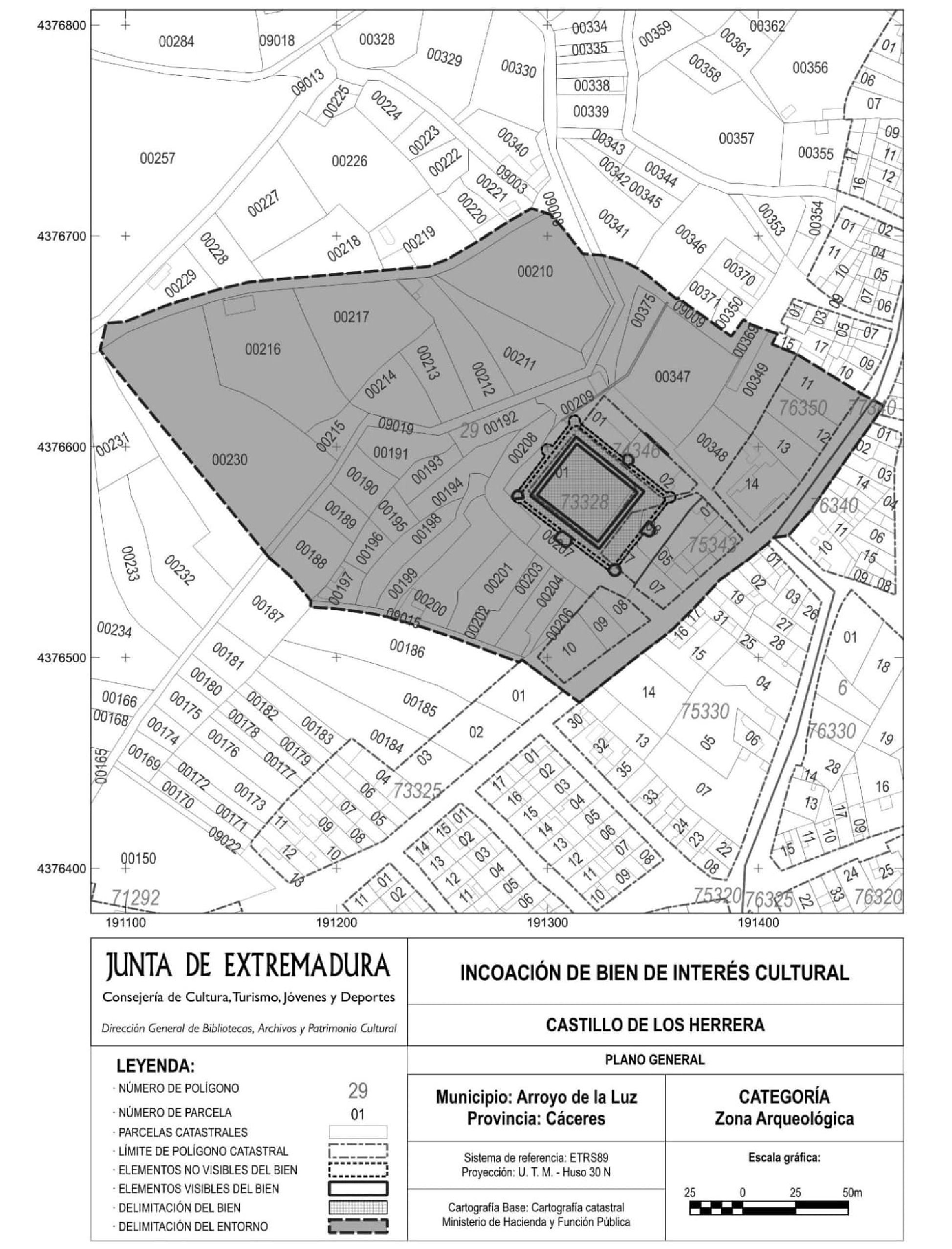
Delimitación del bien
El castillo se sitúa en el límite del casco urbano consolidado de Arroyo de la Luz, al oeste, sobre una pequeña loma. Se accede al mismo a través de un callejón que comunica también con una zona de huertas.
Los restos del castillo que se conservan, es decir, el recinto principal de este junto con la liza, barbacana, torreones, así como el zócalo sobre el que se asienta, se corresponden total o parcialmente con las siguientes parcelas, con estas referencias catastrales:
| Localización | Referencia catastral |
|---|---|
| Calle Castillo. | 7332801QD0773S0001JF |
| Calle Castillo. | 7434602QD0773S0001BF |
| Calle Castillo. | 7434601QD0773S0001AF |
| Calle Castillo Suelo. | 7434308QD0773S0001HF |
| Calle Castillo Suelo. | 7434307QD0773S0001UF |
| Polígono 29 Parcela 207. Huertas. | 10022A029002070000WW |
| Polígono 29 Parcela 209. Huertas. | 10022A029002090000WB |
De igual modo, para una mejor compresión de la delimitación del bien, se explicitan las coordenadas de los puntos que determinan la polilínea que lo define (Sistema de referencia ETRS89-UTM30, EPSG 25830):
| X | Y |
|---|---|
| 191334.547 | 4376540.937 |
| 191334.056 | 4376539.878 |
| 191332.981 | 4376539.072 |
| 191331.808 | 4376538.883 |
| 191330.67 | 4376539.22 |
| 191329.609 | 4376540.224 |
| 191328.807 | 4376541.509 |
| 191311.527 | 4376554.505 |
| 191308.877 | 4376551.903 |
| 191303.063 | 4376556.542 |
| 191305.253 | 4376559.211 |
| 191287.127 | 4376573.302 |
| 191285.592 | 4376573.502 |
| 191284.682 | 4376573.99 |
| 191283.816 | 4376574.903 |
| 191283.464 | 4376575.662 |
| 191283.425 | 4376576.824 |
| 191283.978 | 4376578.056 |
| 191284.666 | 4376578.752 |
| 191285.372 | 4376579.09 |
| 191286.187 | 4376579.177 |
| 191298.944 | 4376595.736 |
| 191298.006 | 4376596.529 |
| 191297.422 | 4376597.522 |
| 191297.329 | 4376599.003 |
| 191297.748 | 4376600.091 |
| 191298.616 | 4376600.885 |
| 191299.925 | 4376601.228 |
| 191301.292 | 4376600.971 |
| 191302.324 | 4376600.123 |
| 191310.457 | 4376610.68 |
| 191310.19 | 4376612.134 |
| 191310.324 | 4376613.124 |
| 191310.952 | 4376614.111 |
| 191311.961 | 4376614.725 |
| 191313.314 | 4376614.812 |
| 191314.529 | 4376614.226 |
| 191315.07 | 4376613.581 |
| 191315.332 | 4376612.964 |
| 191315.426 | 4376611.246 |
| 191335.712 | 4376594.956 |
| 191336.633 | 4376595.812 |
| 191337.577 | 4376596.194 |
| 191338.765 | 4376596.156 |
| 191339.681 | 4376595.714 |
| 191340.355 | 4376594.964 |
| 191340.7 | 4376593.851 |
| 191340.478 | 4376592.553 |
| 191339.947 | 4376591.648 |
| 191356.419 | 4376578.304 |
| 191357.902 | 4376578.611 |
| 191359.075 | 4376578.422 |
| 191360.041 | 4376577.745 |
| 191360.602 | 4376576.72 |
| 191360.641 | 4376575.558 |
| 191360.041 | 4376574.37 |
| 191358.914 | 4376573.634 |
| 191357.093 | 4376573.456 |
| 191349.039 | 4376563.213 |
| 191350.384 | 4376561.932 |
| 191350.8 | 4376561.037 |
| 191350.767 | 4376559.704 |
| 191350.276 | 4376558.645 |
| 191349.201 | 4376557.839 |
| 191348.028 | 4376557.65 |
| 191346.89 | 4376557.987 |
| 191345.746 | 4376559.024 |
| 191333.626 | 4376543.609 |
| 191334.458 | 4376542.259 |
| 191334.547 | 4376540.937 |
Delimitación del entorno de protección
Debido a la ubicación del castillo en un promontorio, en un extremo del núcleo urbano, se considera que el entorno necesario para garantizar su protección sea el espacio comprendido entre el límite exterior del zócalo y/o barbacana (ya sea existente, desaparecida u oculta) y las siguientes vías públicas o espacios:
– Al norte, la línea definida entre el límite sur de la plaza Castillejos (sin incluirla) y la calle Castillo (incluyéndola).
– Al este, la línea que recorre toda la calle Castillo hasta enlazar con el camino correspondiente a la localización polígono 29, parcela 9015, el cual se incluye en la delimitación de entorno.
– Al sur, desde el camino antes citado, siguiendo en línea recta que define la linde entre las parcelas 187 y 188, hasta llegar al camino correspondiente a la parcela 9008 del polígono 29, con referencia catastral 10022A029090080000WW (sin incluirlo).
– Al oeste, desde el camino citado hasta enlazar con el camino que corresponde a la parcela 9009 del polígono 29, con referencia catastral 10022A029090090000WA, el cual conecta con el límite sur de la plaza Castillejos.
En definitiva, el entorno de protección abarca, total o parcialmente, las siguientes fincas, con las referencias catastrales:
| Localización | Referencia catastral |
|---|---|
| Calle Castillo Suelo. | 7534308QD0773S0001IF |
| Calle Castillo Suelo. | 7434308QD0773S0001HF |
| Calle Castillo Suelo. | 7434307QD0773S0001UF |
| Calle Castillo Suelo. | 7534309QD0773S0001JF |
| Calle Castillo Suelo. | 7534310QD0773S0001XF |
| Calle Castillo. | 7434601QD0773S0001AF |
| Calle Castillo. | 7434602QD0773S0001BF |
| Calle Castillo, 46 Suelo. | 7635011QD0773N0001HY |
| Calle Castillo, 50 Suelo. | 7635012QD0773N0001WY |
| Calle Castillo, 50(D) Suelo. | 7635013QD0773N0001AY |
| Calle Castillo, 52. | 7534303QD0773S0001OF |
| Calle Castillo, 52(A). | 7635014QD0773N0001BY |
| Calle Castillo, 52(T). | 7534301QD0773S0001FF |
| Calle Castillo, 54 Es:1 Pl:00 Pt:01. | 7534302QD0773S0001MF |
| Calle Castillo, 56. | 7534304QD0773S0001KF |
| Calle Castillo, 58. | 7534305QD0773S0001RF |
| Calle Castillo, 60 Suelo. | 7534307QD0773S0001XF |
| Pza Castillejos, 4. | 7635015QD0773N0001YY |
| Polígono 29, Parcela 188. Huertas. | 10022A029001880000WT |
| Polígono 29, Parcela 189. Huertas. | 10022A029001890000WF |
| Polígono 29, Parcela 190. Huertas. | 10022A029001900000WL |
| Polígono 29, Parcela 191. Huertas. | 10022A029001910000WT |
| Polígono 29, Parcela 192. Huertas. | 10022A029001920000WF |
| Polígono 29, Parcela 193. Huertas. | 10022A029001930000WM |
| Polígono 29, Parcela 194. Huertas. | 10022A029001940000WO |
| Polígono 29, Parcela 195. Huertas. | 10022A029001950000WK |
| Polígono 29, Parcela 196. Huertas. | 10022A029001960000WR |
| Polígono 29, Parcela 197. Huertas. | 10022A029001970000WD |
| Polígono 29, Parcela 198. Huertas. | 10022A029001980000WX |
| Polígono 29, Parcela 199. Huertas. | 10022A029001990000WI |
| Polígono 29, Parcela 200. Huertas. | 10022A029002000000WI |
| Polígono 29, Parcela 201. Huertas. | 10022A029002010000WJ |
| Polígono 29, Parcela 202. Huertas. | 10022A029002020000WE |
| Polígono 29, Parcela 203. Huertas. | 10022A029002030000WS |
| Polígono 29, Parcela 204. Huertas. | 10022A029002040000WZ |
| Polígono 29, Parcela 205. Huertas. | 10022A029002050000WU |
| Polígono 29, Parcela 206. Huertas. | 10022A029002060000WH |
| Polígono 29, Parcela 207. Huertas. | 10022A029002070000WW |
| Polígono 29. Parcela 208. Huertas. | 10022A029002080000WA |
| Polígono 29, Parcela 209. Huertas. | 10022A029002090000WB |
| Polígono 29, Parcela 210. Huertas. | 10022A029002100000WW |
| Polígono 29, Parcela 211. Huertas. | 10022A029002110000WA |
| Polígono 29, Parcela 212. Huertas. | 10022A029002120000WB |
| Polígono 29, Parcela 213. Huertas. | 10022A029002130000WY |
| Polígono 29, Parcela 214. Huertas. | 10022A029002140000WG |
| Polígono 29, Parcela 215. Huertas. | 10022A029002150000WQ |
| Polígono 29, Parcela 216. Huertas. | 10022A029002160000WP |
| Polígono 29, Parcela 217. Huertas. | 10022A029002170000WL |
| Polígono 29, Parcela 230. Huertas. | 10022A029002300000WD |
| Polígono 29, Parcela 347. Huertas. | 10022A029003470000WT |
| Polígono 29, Parcela 348. Huertas. | 10022A029003480000WF |
| Polígono 29, Parcela 349. Huertas. | 10022A029003490000WM |
| Polígono 29, Parcela 369. Huertas. | 10022A029003690000WA |
| Polígono 29, Parcela 369. DS Corral de las Viñas 349. Huertas. | 10022A029003690001ES |
| Polígono 29, Parcela 375. Huertas. | 10022A029003750000WG |
| Polígono 29, Parcela 9008. Camino. | 10022A029090080000WW |
| Polígono 29, Parcela 9009. Camino. | 10022A029090090000WA |
| Polígono 29. Parcela 9015. Camino. | 10022A029090150000WG |
| Polígono 29, Parcela 9019. Arroyo. | 10022A029090190000WT |
Para una mejor compresión de la delimitación del entorno de la zona arqueológica, se explicitan las coordenadas de los puntos que determinan la polilínea que lo define (Sistema de referencia ETRS89-UTM30, EPSG 25830):
| X | Y |
|---|---|
| 191167.959 | 4376547.46 |
| 191087.815 | 4376645.813 |
| 191090.75 | 4376658.545 |
| 191099.785 | 4376659.276 |
| 191119.567 | 4376667.182 |
| 191144.515 | 4376674.794 |
| 191157.978 | 4376678.027 |
| 191165.875 | 4376678.834 |
| 191222.58 | 4376683.705 |
| 191243.384 | 4376685.425 |
| 191253.008 | 4376689.135 |
| 191266.75 | 4376697.295 |
| 191281.205 | 4376706.67 |
| 191292.327 | 4376712.988 |
| 191299.405 | 4376710.841 |
| 191301.362 | 4376710.269 |
| 191308.004 | 4376702.795 |
| 191316.718 | 4376691.513 |
| 191325.946 | 4376690.787 |
| 191335.684 | 4376688.242 |
| 191341.297 | 4376685.33 |
| 191342.973 | 4376684.456 |
| 191347.79 | 4376681.036 |
| 191353.786 | 4376676.063 |
| 191361.27 | 4376669.947 |
| 191361.78 | 4376670.593 |
| 191377.477 | 4376659.34 |
| 191387.115 | 4376652.431 |
| 191393.071 | 4376660.279 |
| 191396.45 | 4376657.912 |
| 191400.445 | 4376656.552 |
| 191404.916 | 4376655.03 |
| 191409.014 | 4376653.645 |
| 191406.419 | 4376648.593 |
| 191418.223 | 4376643.925 |
| 191429.523 | 4376636.974 |
| 191448.77 | 4376625.131 |
| 191459.447 | 4376619.515 |
| 191456.7 | 4376615.476 |
| 191454.009 | 4376611.504 |
| 191449.959 | 4376605.817 |
| 191444.006 | 4376597.449 |
| 191440.028 | 4376591.778 |
| 191436.067 | 4376586.074 |
| 191432.372 | 4376580.745 |
| 191428.788 | 4376575.568 |
| 191424.883 | 4376569.941 |
| 191414.213 | 4376557.906 |
| 191407.207 | 4376556.902 |
| 191404.227 | 4376553.879 |
| 191400.016 | 4376550.44 |
| 191394.707 | 4376546.181 |
| 191389.66 | 4376542.557 |
| 191383.573 | 4376538.178 |
| 191381.877 | 4376536.957 |
| 191379.065 | 4376533.885 |
| 191375.218 | 4376529.689 |
| 191371.132 | 4376525.236 |
| 191364.094 | 4376518.106 |
| 191360.245 | 4376514.22 |
| 191355.276 | 4376510.099 |
| 191345.154 | 4376502.531 |
| 191325.394 | 4376486.83 |
| 191315.193 | 4376478.664 |
| 191307.545 | 4376484.297 |
| 191287.916 | 4376498.899 |
| 191286.548 | 4376497.707 |
| 191256.244 | 4376509.176 |
| 191240.336 | 4376514.55 |
| 191224.399 | 4376519.184 |
| 191217.271 | 4376520.722 |
| 191207.897 | 4376522.11 |
| 191199.505 | 4376523.202 |
| 191187.631 | 4376523.954 |
| 191187.821 | 4376526.95 |
| 191178.157 | 4376538.566 |
| 191167.959 | 4376547.46 |
En las áreas protegidas por la declaración, se incluyen además los caminos que estén incluidos dentro del entorno de protección tal y como se detalla en el plano anexo.
1. Régimen general
La Zona Arqueológica del «Castillo de los Herrera», en el término municipal de Arroyo de la Luz (Cáceres), es un Bien de Interés Cultural, con la categoría de zona arqueológica, y se regirá́ por lo dispuesto en el artículo 43 de la Ley 2/1999, de 29 de marzo, de Patrimonio Histórico y Cultural de Extremadura, para los bienes inmuebles con dicha categoría, así como por el plan especial de protección u otro instrumento de ordenación que en su caso se apruebe.
2. Régimen de intervenciones en la zona arqueológica y su entorno de protección
Mientras no se apruebe el plan especial de protección, cualquier actuación que implique el desplazamiento, remoción o instalación en la zona arqueológica y su entorno de protección requerirá la autorización previa de la consejería competente en materia de cultura. Dicha autorización se otorgará de conformidad con lo dispuesto en la Ley 2/1999, de 29 de marzo, de Patrimonio Histórico y Cultural de Extremadura, así como en la Ley 16/1985, de 25 de junio, de Patrimonio Histórico Español.
Todas las intervenciones dentro de los límites de la zona arqueológica declarada deberán estar orientadas hacia la protección, investigación, estudio y valorización del bien. En todo caso, los usos que se implementen en esta zona arqueológica y su entorno de protección deben ser compatibles con la conservación del espacio protegido, sin alterar su valor patrimonial.
Por otro lado, cualquier actividad que implique un cambio en el uso del suelo o una transformación del terreno que altere la topografía o remueva áreas inalteradas requerirá un informe previo y una autorización expresa de la consejería competente en materia de patrimonio cultural.
Asimismo, será obligatoria la autorización de la consejería competente para la colocación de elementos publicitarios e instalaciones en la zona arqueológica y su entorno de protección.
En el área arqueológica, queda prohibida la búsqueda, recogida o traslado de materiales arqueológicos, el uso de detectores de metales y el vertido de residuos sólidos, salvo que se cuente con autorización expresa del organismo autonómico competente en materia de patrimonio cultural.
Por último, toda intervención dentro de los límites de la zona arqueológica y su entorno deberá cumplir con las siguientes consideraciones:
– Zona arqueológica delimitada: Sin perjuicio de lo dispuesto anteriormente, toda actuación requerirá un proyecto de intervención que garantice la preservación del patrimonio arqueológico. Esta intervención deberá ser autorizada por la consejería competente.
– Entorno de la zona arqueológica: Cualquier actuación que implique la remoción del terreno en áreas inalteradas estará sujeta a los criterios de prevención arqueológica, con el fin de determinar la existencia y caracterización de posibles restos arqueológicos. Los resultados de dicha intervención podrían dar lugar a trabajos arqueológicos adicionales.
– Cualquier intervención sobre restos ya localizados o que pudieran aparecer también requerirá la debida autorización.
– Todas las autorizaciones para intervenciones arqueológicas se emitirán conforme a lo establecido en la Ley 2/1999, de 29 de marzo, de Patrimonio Histórico y Cultural de Extremadura.
Agència Estatal Butlletí Oficial de l'Estat
Avda. de Manoteras, 54 - 28050 Madrid