Está Vd. en

Documento BOE-A-2003-17924

Decreto 215/2003, de 15 de julio, por el que se declara bien de interés cultural, con la categoría de conjunto histórico, el sector delimitado de la población de Tarifa, en Cádiz.

Publicado en:
«BOE» núm. 230, de 25 de septiembre de 2003, páginas 35123 a 35129 (7 págs.)
Sección:
III. Otras disposiciones
Departamento:
Comunidad Autónoma de Andalucía
Referencia:
BOE-A-2003-17924

TEXTO ORIGINAL

I. El artículo 13.27 de la Ley Orgánica 6/1981, de 30 de diciembre, del Estatuto de Autonomía para Andalucía, establece la competencia exclusiva de la Comunidad Autónoma en materia de patrimonio histórico, artístico, monumental, arqueológico y científico, y el artículo 6.a) de la Ley 16/1985, de 25 de junio, del Patrimonio Histórico Español, determina que se entenderán como organismos competentes para la ejecución de la Ley los que en cada Comunidad Autónoma tengan a su cargo la protección del patrimonio histórico.

Asimismo, el artículo 2 del Reglamento de Organización Administrativa del Patrimonio Histórico de Andalucía aprobado mediante Decreto 4/1993, de 26 de enero, atribuye a la Consejería de Cultura de la Junta de Andalucía la competencia en la formulación, seguimiento y ejecución de la política andaluza de Bienes Culturales referida a la tutela, enriquecimiento y difusión del Patrimonio Histórico Andaluz, siendo de acuerdo con el artículo 3.3 del citado Reglamento, el titular de la Consejería de Cultura el órgano competente para proponer al Consejo de Gobierno de la Junta de Andalucía la declaración de Bien de Interés Cultural y competiendo, según el artículo 1.1 del Reglamento anterior, a este último dicha declaración.

II. Los elementos que contribuyen a valorar el Conjunto Histórico de Tarifa se sustentan en la valoración histórica del proceso de formación de la ciudad, caracterizado por su posición estratégica, que permite identificar las estructuras arquitectónicas y la morfología urbana que conforman su núcleo más antiguo. Entre los elementos que configuran la imagen urbana destacan el Castillo de Guzmán el Bueno, la iglesia de San Mateo, la iglesia de San Francisco y la de Jesús, así como el conjunto de torreones y lienzos de muralla que la rodean, conservados en su práctica totalidad, con construcciones que se le han ido adosando a lo largo de la historia.

El casco urbano de Tarifa tiene ampliamente justificada su declaración como Conjunto Histórico por los valores históricos, artísticos, arquitectónicos y urbanísticos que caracterizan su núcleo más antiguo.

III. Por Resolución de 29 de noviembre de 1982, de la Dirección General de Bellas Artes, Archivos y Bibliotecas del Ministerio de Cultura (BOE de 19 de enero de 1983) fue incoado expediente de declaración de Conjunto Histórico-Artístico, a favor de la Villa de Tarifa (Cádiz), según la Ley de 13 de mayo de 1933, sobre defensa, conservación y acrecentamiento del patrimonio histórico-artístico nacional, siguiendo su tramitación según lo previsto en dicha Ley, el Decreto de 16 de abril de 1936 y Decreto de 22 de julio de 1958, de acuerdo con lo preceptuado en el apartado uno de la disposición transitoria sexta de la Ley 16/1985, de 25 de junio, del Patrimonio Histórico Español.

En la tramitación del expediente y de conformidad con lo establecido en el artículo 14 de la Ley de 13 de mayo de 1933, sobre defensa, conservación y acrecentamiento del patrimonio histórico-artístico nacional, así como en el artículo 84 de la Ley de Procedimiento Administrativo de 17 de julio de 1958, han emitido informe favorable a la declaración, la Real Academia de Bellas Artes de San Fernando, reunida en sesión del día 27 de junio de 1983 y la Comisión Provincial de Patrimonio Histórico de Cádiz, reunida en sesión del día 14 de mayo de 2002.

De acuerdo con la legislación vigente, se cumplieron los trámites preceptivos, abriéndose un período de información pública (BOJA n.60, de 23 de mayo de 2002) y concediéndose trámite de audiencia al Ayuntamiento, mediante escrito de la Ilma. Sra. Delegada de la Consejería de Cultura en Cádiz al Sr. Alcalde-Presidente del Ayuntamiento de Tarifa, con fecha de recepción de 30 de mayo de 2002.

Terminada la instrucción del expediente, según lo previsto en la disposición transitoria sexta, apartado uno de la Ley 16/1985, de 25 de junio, del Patrimonio Histórico Español, procede la declaración de Bien de Interés Cultural, con la categoría de Conjunto Histórico, del sector delimitado de la población de Tarifa y, de conformidad con lo previsto en el artículo 8 del Reglamento de Protección y Fomento del Patrimonio Histórico de Andalucía, aprobado mediante Decreto 19/1995, de 7 de febrero, la inclusión del mismo en el Catálogo General del Patrimonio Histórico Andaluz.

En virtud de lo expuesto y de acuerdo con lo establecido en los artículos 6.a) y 9.1 y 9.2 de la Ley 16/1985, de 25 de junio, del Patrimonio Histórico Español, en relación con el artículo 1.1 del Reglamento de Organización Administrativa del Patrimonio Histórico de Andalucía, a propuesta de la Consejera de Cultura y previa deliberación, el Consejo de Gobierno en su reunión del día 15 de julio de 2003, acuerda:

Primero.

Declarar Bien de Interés Cultural con la categoría de Conjunto Histórico, el sector delimitado de la población de Tarifa, en Cádiz, cuya descripción figura en el Anexo al presente Decreto.

Segundo.

Delimitar el espacio afectado por la declaración de Bien de Interés Cultural, que abarca los espacios públicos y privados, las parcelas, inmuebles y elementos comprendidos dentro de la delimitación que figura en el Anexo y, gráficamente, en el plano de Delimitación del Conjunto Histórico.

Tercero.

Inscribir este Bien de Interés Cultural en el Catálogo General del Patrimonio Histórico Andaluz.

Contra el presente acto, que pone fin a la vía administrativa, se podrá interponer, desde el día siguiente al de su notificación, potestativamente, recurso de reposición ante el mismo órgano que lo dicta en el plazo de un mes, conforme a los artículos 116 y 117 de la Ley 30/1992, de 26 de noviembre, de Régimen Jurídico de las Administraciones Públicas y del Procedimiento Administrativo Común (modificada por la Ley 4/1999, de 13 de enero), o directamente recurso contencioso-administrativo en el plazo de dos meses, ante la Sala de lo Contencioso-Administrativo del Tribunal Superior de Justicia de Andalucía con sede en Sevilla, de acuerdo con lo previsto en los artículos 10 y 46 de la Ley 29/1998, de 13 de julio, reguladora de la Jurisdicción Contencioso- Administrativa.

Sevilla, 15 de julio de 2003.‒El Presidente, Manuel Chaves González.‒La Consejera de Cultura, Carmen Calvo Poyato.

ANEXO

I. Justificación de la delimitación

El núcleo urbano de Tarifa se sitúa en el punto más meridional de la península ibérica. Se emplaza en una zona costera de poca altitud rodeada por el mar y unida a una pequeña isla mediante un estrecho istmo. De su posición se derivan algunas de sus más interesantes características.

El actual término municipal de Tarifa ha sido habitado desde los tiempos más remotos, existiendo restos arqueológicos de origen prehistórico, fenicio y púnico. Posteriormente se estableció una colonia romana procedente de Tingis, al otro lado del estrecho, que recibió el nombre de Tingitera (Tingis Altera), Julio Ioza o Julio Traducta.

Durante la dominación romana cobran gran auge las fundaciones en la zona del estrecho, destacando las ciudades de Mellaria, Baelo Claudia y Julio Traducta, todas ellas dentro del actual término municipal de Tarifa.

Tras la decadencia de Roma, la zona es ocupada por los suevos que a su vez son desalojados por los visigodos en torno al 460. En el año 551 la Bética se levanta en armas con apoyo de los bizantinos, que ocupan la zona del estrecho, hasta su definitiva expulsión por Leovigildo, que consigue unificar la península Ibérica.

En el año 711 desembarca en la península Tarik Ben Sellad, tomando de éste su actual nombre de Tarifa. Desde el inicio de la dominación musulmana, se encuentra habitada sin solución de continuidad, perteneciendo a esta época su estructura básica intramuros, siendo en el año 960 cuando Abderrahaman Ben Nasder contruye el castillo, protegiendo así el litoral sur del califato de Córdoba.

Tras la disolución del Califato, Tarifa pasa a pertenecer por un corto periodo de tiempo al Reino de Algeciras, para incorporarse definitivamente al Reino de Granada. En el año 1292, el rey castellano Sancho IV conquista la ciudad. En 1293 la armada sarracena desembarca en la península poniendo sitio a la ciudad, hasta que la flota castellana y leonesa obliga a levantar el cerco el día de San Mateo.

Tarifa interviene activamente en la toma de Algeciras, por lo que Fernando IV confirma sus privilegios. Alfonso XI vuelve a confirmar los privilegios de Sancho IV y cuatro años más tarde le concede el derecho de asilo, que permite a los vasallos del reino que hubieran cometido algún delito, recibir el perdón real, habitando durante un año y un día en Tarifa y sirviendo en su defensa.

Durante el reinado de Felipe II la villa pasa a ser de realengo.

Durante el siglo XVIII, Tarifa será un importante centro de concentración de tropas y avituallamiento, tanto para el reforzamiento de la plaza de Ceuta como para colaborar en los asedios a Gibraltar.

La guerra de Independencia supuso para Tarifa un importante aumento de guarnición. En octubre de 1811 el General Soult sitia la ciudad, siendo impedido este primer intento por la armada inglesa. En el segundo intento, llevado a cabo en 1812 por el General Laval, las tropas francesas fueron batidas por el Gobernador de la plaza, D. Francisco Copons.

El origen del núcleo urbano de Tarifa se centra en dos accidentes geográficos fundamentales: por un lado el pequeño promontorio que se levanta junto al mar donde se sitúa el castillo y por otro el río que lo bordeaba, actualmente desviado y que discurría por la actual calle Sancho IV El Bravo. Ambos delimitaban la extensión de la antigua medina. Posteriormente se produce una primera expansión extramuros de la medina, que abarcaría el arrabal islámico, situado en la orilla opuesta del río, y por último, tras la construcción de la cerca medieval de los siglos XIII y XIV, se produce la máxima expansión del casco histórico cuya extensión extramuros resulta relativamente reciente.

Desde un punto de vista histórico su posición, junto con otros pueblos de la zona, en la frontera del reino nazarí de Granada, la señaló como puesto estratégico cuyo elemento esencial, el Castillo, favoreció la creación de un núcleo urbano que se desarrolló al amparo de aquél. La ciudad surge como punto estratégico avanzado de vigilancia costera. Existen indicios arqueológicos de ocupación en época púnico-fenicia, sobre el promontorio sur, así como indicios de una posible ubicación de la ciudad romana Julio Traducta, aunque no se inicia una evolución urbana clara e ininterrumpida hasta la invasión islámica. La trama urbana se ha vinculado con el Castillo a través de la expansión de su recinto amurallado, creando un asentamiento que se revaloriza tanto por la gran riqueza de la propia trama urbana como por las tipologías edificatorias y los espacios intersticiales urbanos que se crean como consecuencia de la gran ocupación del recinto amurallado.

Urbanísticamente mantiene los parámetros de una trama histórica conservada desde su formación. La trama actual se encontraba ya formada durante el siglo XIV, observándose sobre ella pocas intervenciones que lejos de desvirtuar su valor lo incrementan. Surgen así calles estrechas, manzanas irregulares y plazuelas, todas propias de un urbanismo orgánico vinculado a necesidades de crecimiento y de comunicación que se plantean a medida que avanza el tiempo.

La arquitectura y sus valores constituyen un elemento importante a considerar, destacando el conjunto de las Murallas, el Castillo de Guzmán el Bueno, la Iglesia Mayor de San Mateo, la Puerta de Jerez, la Iglesia de San Francisco, la Capilla del Asilo de San José y otros inmuebles de interés.

La construcción del recinto fortificado se remonta hasta los años centrales del siglo X. Las discordias y enfrentamientos entre los diversos grupos invasores hace que al subir Abdal-Rahman III al califato se plantease la construcción de esta fortaleza que se vería culminada en el año 960. La mayoría de la cerca permite ser clasificada como una de las primeras fortificaciones del Califato cordobés. El recinto comprendía el Castillo, las murallas y algunas torres vigía costeras. De la cerca de la ciudad se mantienen numerosos restos permaneciendo en pie casi la totalidad del perímetro.

El Castillo de Guzmán el Bueno puede datarse en el siglo X, aunque se cree que bajo los cimientos se encuentren restos de una fortificación romana o incluso fenicia, consolidado como un recinto de forma de cuadrilátero irregular, delimitado por un muro de sillarejo y aparejo a soga y tizón. Posee torres de poco saliente intercaladas en el muro, características del periodo califal. El acceso al Castillo se realiza por una puerta recta, situada en la parte occidental, mientras que en el extremo opuesto, donde se asienta la población se abriría otra puerta que comunicaba con la al-madina, la residencia urbana fortificada. Posteriormente fue añadida una torre albarrana de planta octogonal y una barbacana que aumentó la altura de los muros califales. La superposición de puertas rompiendo parte del lienzo de la barbacana y la apertura de otra paralela en recodo, permite pensar en una remodelación de época nazarí.

En razón a las características del ámbito del Bien no se considera necesaria la delimitación de un entorno al mismo, por incluirse dentro de éste todos aquellos espacios, inmuebles y elementos definidores del Conjunto.

II. Delimitación literal

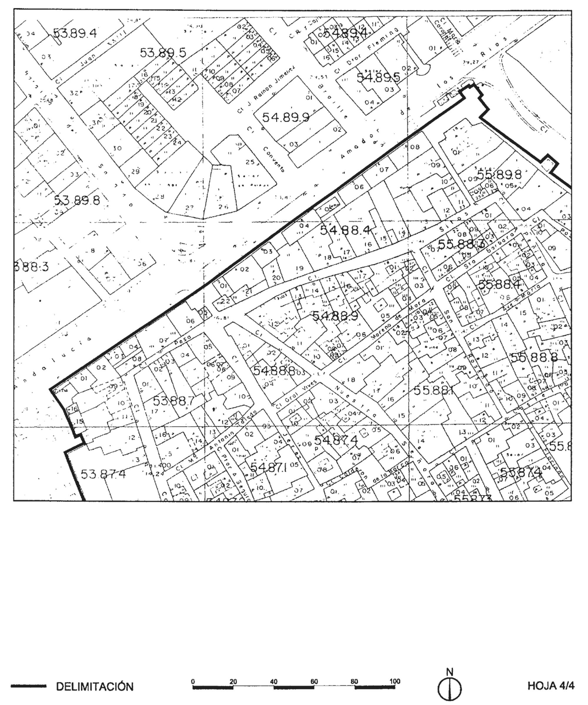
La zona afectada por la declaración de Bien de Interés Cultural, con la categoría de Conjunto Histórico, del sector delimitado de la población de Tarifa, en Cádiz, comprende las parcelas, inmuebles, elementos y espacios públicos y privados, situados dentro de la línea de delimitación trazada sobre el plano parcelario catastral de 1992. El límite está marcado por una línea virtual que se apoya sobre referencias físicas permanentes y visibles. Su descripción literal es la siguiente:

Comienza la delimitación en el sector suroeste del conjunto, en el vértice noroeste de la Torre de Guzmán el Bueno, correspondiente a la parcela 12 de la manzana catastral 55854, señalado en el plano de delimitación con la letra «O», desde donde recorre en sentido contrario a las agujas del reloj los límites sur de las parcelas 12, 13, 14 y 15. Continúa siguiendo el trazado de la muralla, recorriendo el límite sur de la Plaza Miramar y el de la calle Jesús. Rodea la Torre de los Maderos y prosigue por la cara exterior de la muralla que pasa tras las manzanas 57865, 57877, 56876 y 56874, cruza la calle General Copons en la llamada Puerta del Retiro, para continuar por la cara exterior de la muralla, que pasa tras las manzanas 56886, 56883 y 55898. Rodea la Torre del Corchuelo continuando en sentido suroeste por las fachadas de las parcelas 08 a 01 de la manzana 54884. Cruza por la Puerta de Jerez continuando por las fachadas noroeste de las parcelas 06, 07, 04, 03, 02 y 01 de la manzana 53874. Bordea la Torre de los Pintores continuando por las fachadas oeste de las parcelas 16, 15, 10, 13, 14 y 16 de la misma manzana 53874. Continúa por las fachadas oeste de las parcelas 01 a 15 de la manzana 53865, para cruzar en prolongación la calle Sancho IV El Bravo hasta la Torre de Guzmán El Bueno y enlazar con el punto «O», origen de esta delimitación.

Imagen: /datos/imagenes/disp/2003/230/17924_13697487_image1.png

Imagen: /datos/imagenes/disp/2003/230/17924_13697487_image2.png

Imagen: /datos/imagenes/disp/2003/230/17924_13697487_image3.png

Imagen: /datos/imagenes/disp/2003/230/17924_13697487_image4.png

Imagen: /datos/imagenes/disp/2003/230/17924_13697487_image5.png

subir

Agencia Estatal Boletín Oficial del Estado

Avda. de Manoteras, 54 - 28050 Madrid